New Search Family, Subfamily and Tribe List

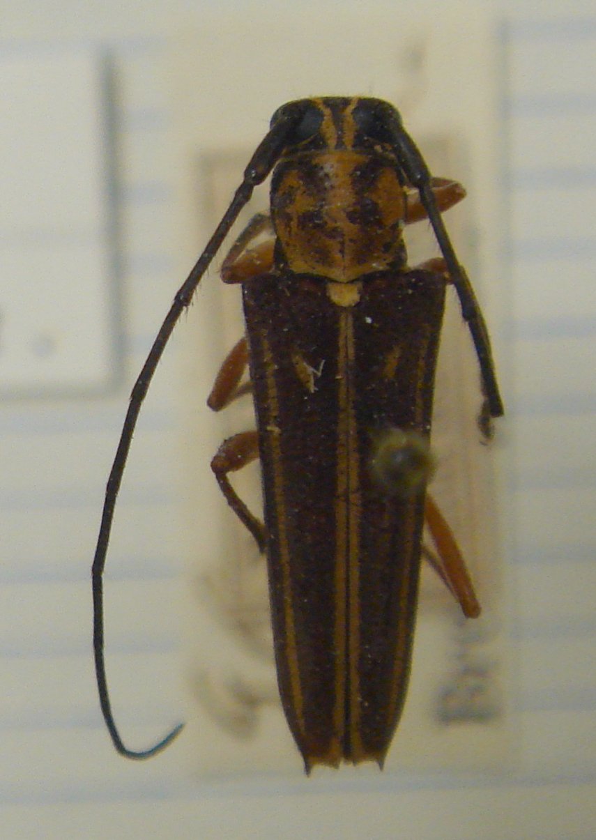
SubFamily Lamiinae

Tribe Saperdini
Glenea bakeriana Breuning 1958

Photographer: Andreas Weigel
67682


Photographer: Meiying Lin
Collection Location: Borneo
67358

130425