_Pascoe_BMNH_Sarawak_Borneo_LGB.jpg)
Specimen Type: holotype Sex: f Institution: BMNH British Museum Natural History, London, UK Photographer: Larry G. Bezark Collection Location: Sarawak, Borneo 47625
|
_BMNH_DJH.jpg)
Specimen Type: holotype Sex: f Institution: BMNH British Museum Natural History, London, UK Photographer: Dan Heffern Collection Location: Sarawak, Borneo 48610
|
_Pascoe_Borneo.jpg)
Specimen Type: holotype Sex: f Institution: BMNH British Museum Natural History, London, UK Collection Location: Sarawak, Borneo 48611
|
_Pascoe_BMNH_Sarawak_Borneo_JC.jpg)
Specimen Type: holotype Sex: f Institution: BMNH British Museum Natural History, London, UK Photographer: Jim Cope Collection Location: Sarawak, Borneo 48612
|

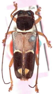
Institution: LGBC Larry G. Bezark Collection, Sacramento, California, USA Photographer: Larry G. Bezark 48613
|
|