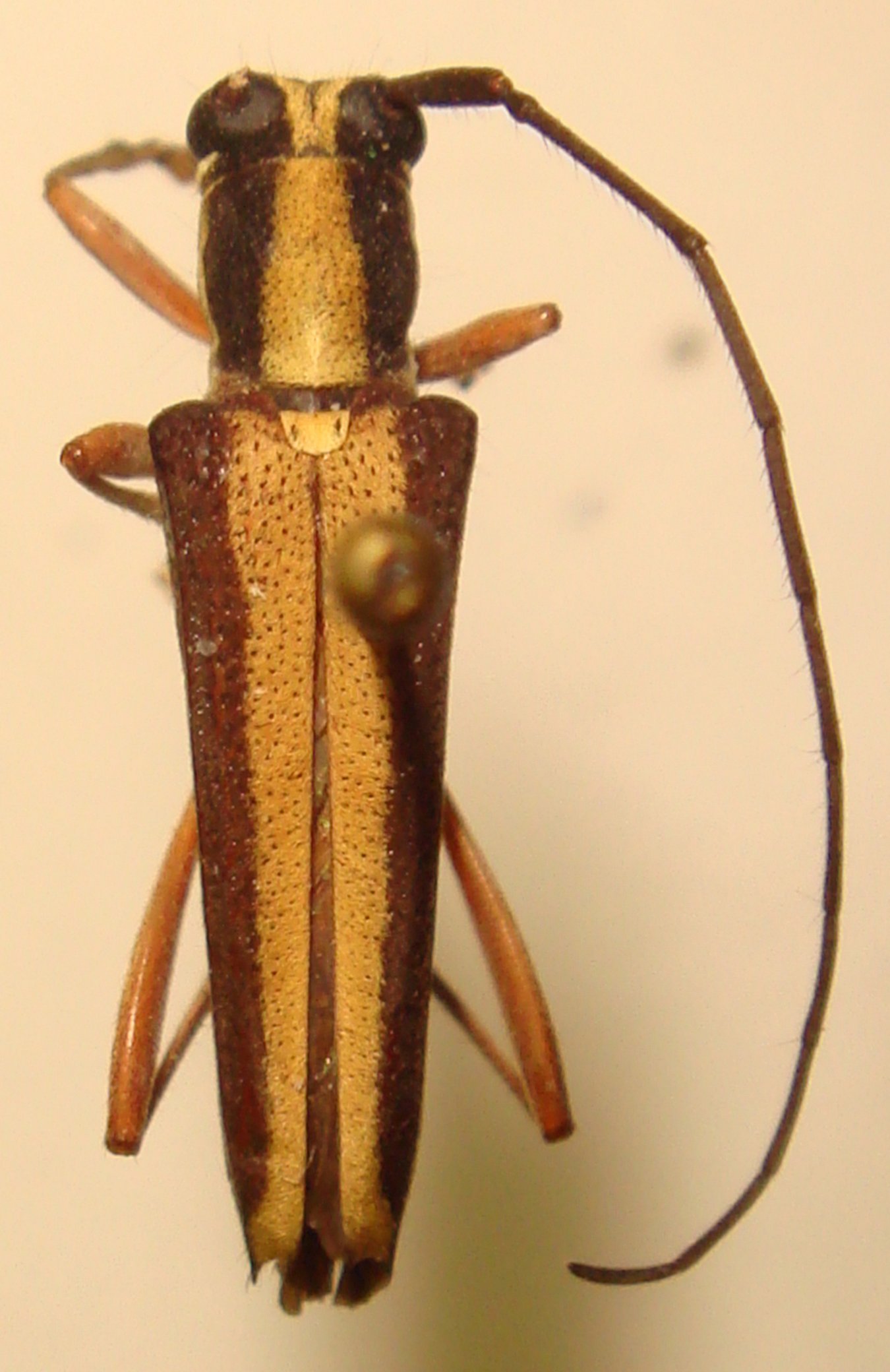
_Pascoe_BMNH_Sarawak_Borneo_now_algebraica_LGB.jpg)
Glenea analytica Pascoe Specimen Type: holotype Sex: m Institution: BMNH British Museum Natural History, London, UK Photographer: Larry G. Bezark Collection Location: Sarawak, Borneo 47605
|

Institution: MNHN Museum of Natural History Paris, France Photographer: Meiying Lin 67330
|