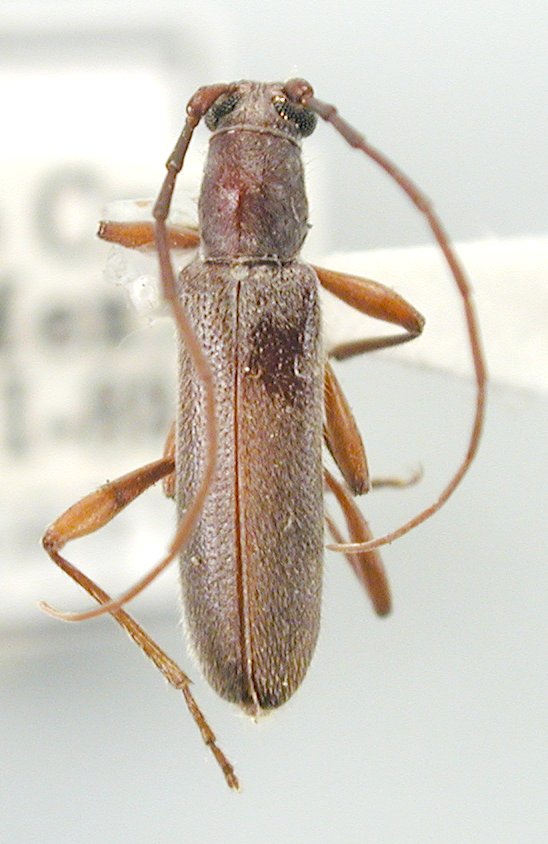
_Chemsak_and_Linsley_CUIC_JAC.jpg)
Specimen Type: holotype Sex: m Institution: CUIC Cornell University, Ithaca, NY, USA Photographer: John Chemsak Collection Location: Mexcala, Guerrero, Mexico 18864
|

Institution: JCPC Jim Cope Collection, San Jose, California, USA now at CSCA, Sacramento Photographer: Larry G. Bezark Determiner: Ed Giesbert Collection Location: Zopilote Canyon, Guerrero, Mexico 98932
|