_Komiya_Drumont_IRSNB_Tenasserim_Myanmar_J_Pirkl_pic5.jpg)
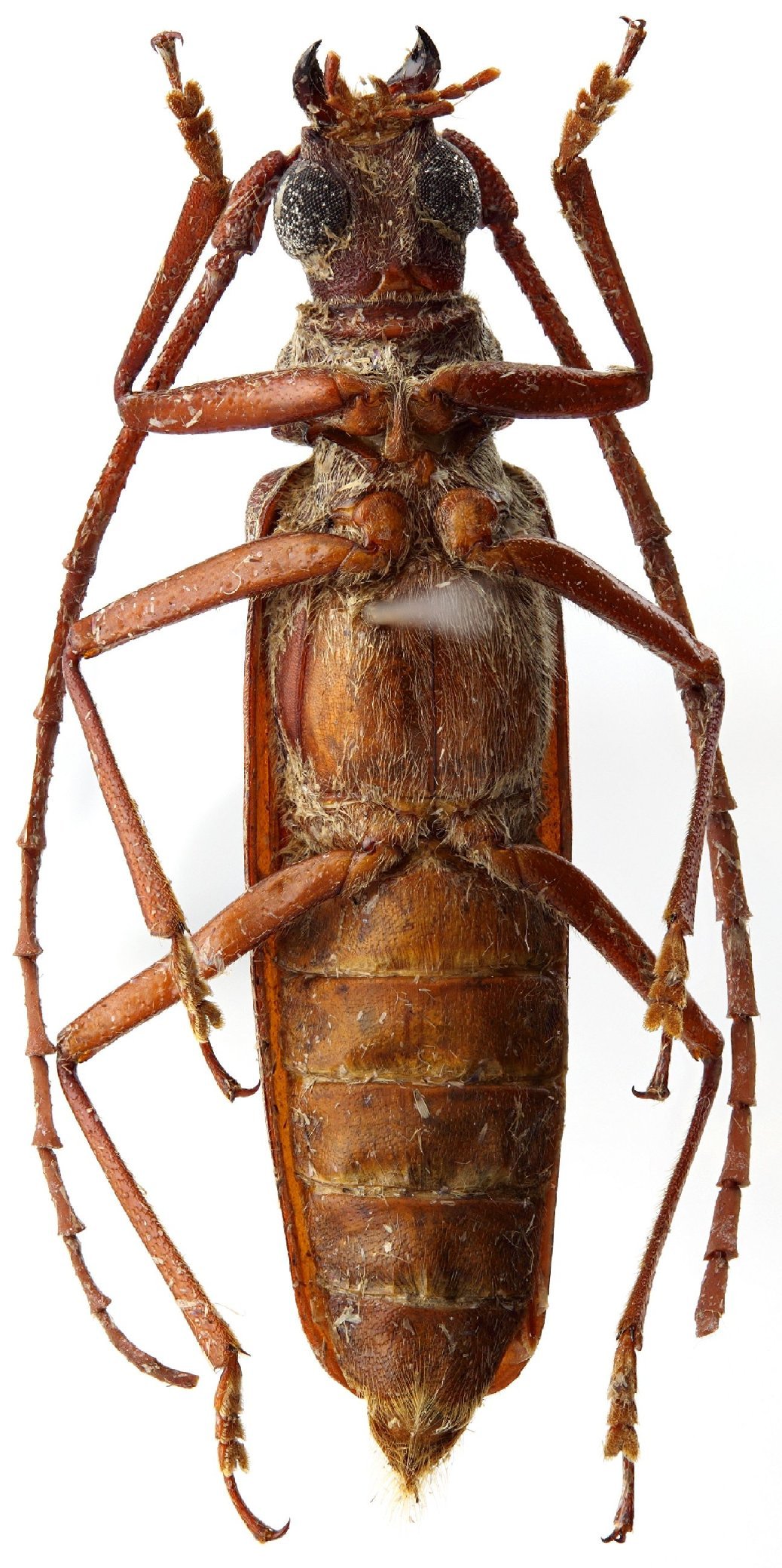
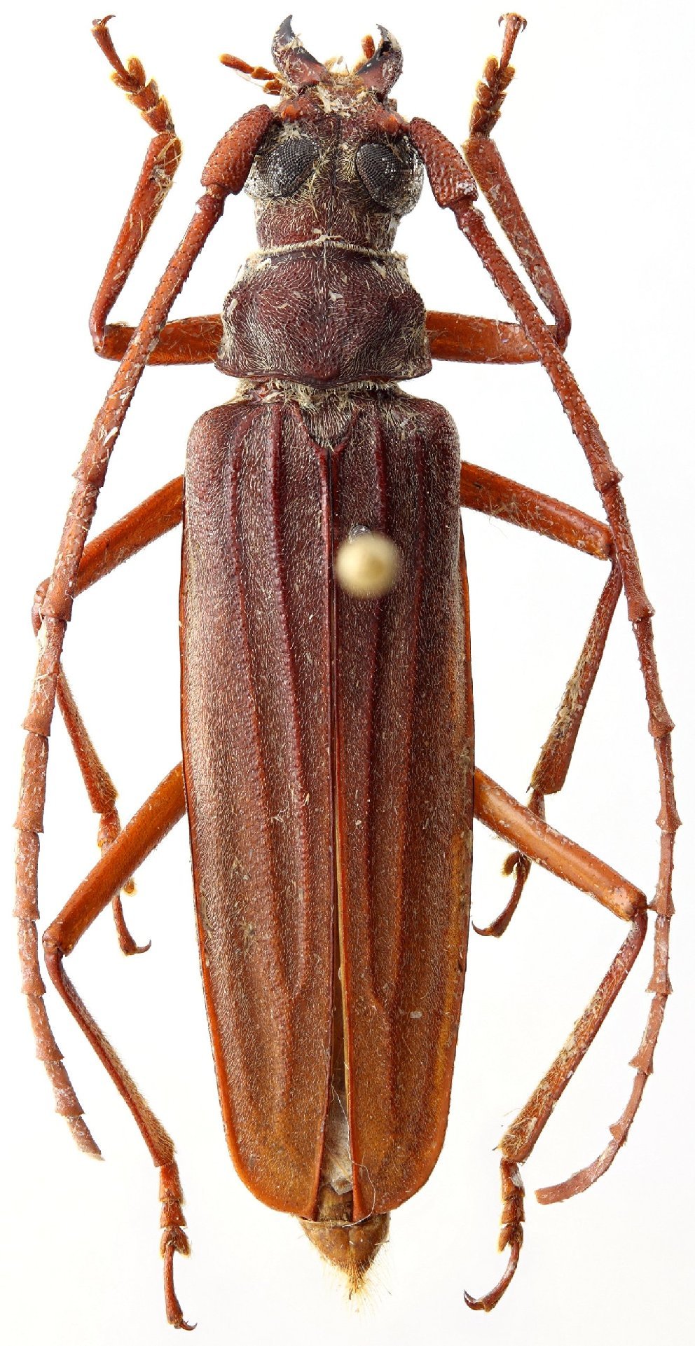
Specimen Type: holotype Sex: m Institution: RBINS Royal Belgian Institute of Natural Sciences, Brussels, Belgium Photographer: J Pirkl Collection Location: Tenasserim, Myanmar 65656
|
_Komiya_Drumont_IRSNB_Tenasserim_Myanmar_J_Pirkl_pic5.jpg)
Specimen Type: holotype Sex: m Institution: RBINS Royal Belgian Institute of Natural Sciences, Brussels, Belgium Photographer: J Pirkl Collection Location: Tenasserim, Myanmar 65657
|
_Komiya_Drumont_IRSNB_Tenasserim_Myanmar_J_Pirkl_pic5.jpg)
Specimen Type: holotype Sex: m Institution: RBINS Royal Belgian Institute of Natural Sciences, Brussels, Belgium Photographer: J Pirkl Collection Location: Tenasserim, Myanmar 65658
|
_Komiya_Drumont_IRSNB_Tenasserim_Myanmar_J_Pirkl_pic5.jpg)
Specimen Type: holotype Sex: m Institution: RBINS Royal Belgian Institute of Natural Sciences, Brussels, Belgium Photographer: J Pirkl Collection Location: Tenasserim, Myanmar 65659
|
|