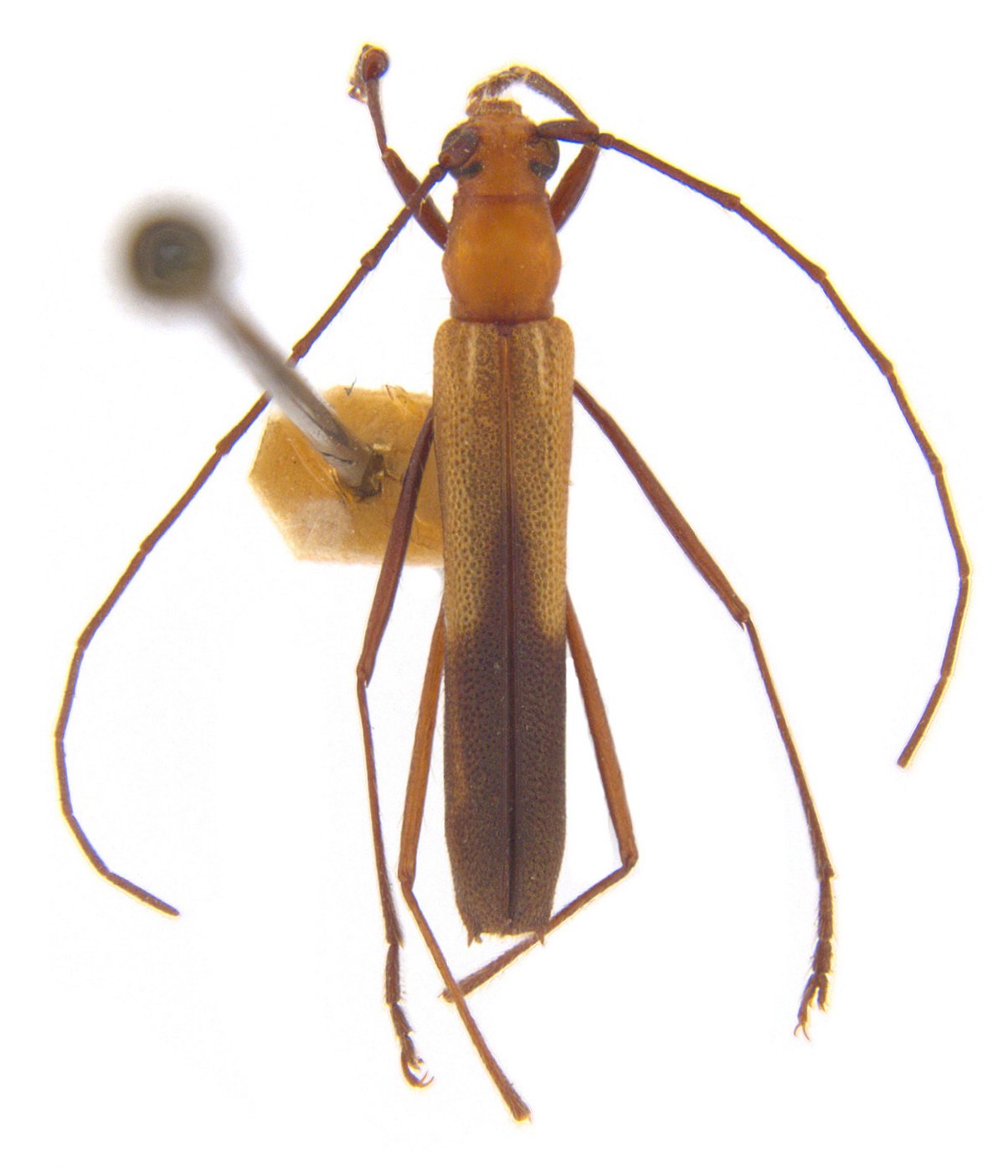
_Zajciw_MNRJ_SWL.jpg)
Specimen Type: holotype Sex: m Institution: MNRJ Museu Nacional Universidade do Rio Janeiro, Brazil Photographer: Steve Lingafelter Collection Location: Linhares, (Reserva Biológica Soóretama), Espirito Santo, Brazil 14710
|
_Zajciw_MNRJ_Linhares_Parque_Sooretama_ES_Braz.jpg)
Sex: m Institution: MNRJ Museu Nacional Universidade do Rio Janeiro, Brazil Collection Location: Linhares, Parque Sooretama, Espirito Santo, Brazil 68497
|