_Fisher_Indonesia_USNM.jpg)
Anhammus variegatus Fisher Specimen Type: holotype Institution: NMNH United States National Museum, Washington, DC, USA Photographer: Steve Lingafelter Collection Location: Mount Kinabalu, Lumu Lumu, Sabah, Malaysia 31865
|
_Breuning_DJH.jpg)
Sex: m Photographer: Dan Heffern 53811
|

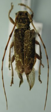
Institution: LIPI Lembaga Ilmu Pengetahuan, Bogor, Indonesia Photographer: Larry G. Bezark Determiner: Makihara Collection Location: Bukit Bangkirai, Kalimantan, Indonesia 43883
|
|