_Bez_SS_CAS_3kmSE_Rio_Naranjo_GU_CR_SS.jpg)
Specimen Type: holotype Sex: m Institution: CAS California Academy of Sciences, San Francisco, CA, USA Photographer: Antonio Santos-Silva Collection Location: 3 km SE Rio Naranjo, Guanacaste, Costa Rica 70055
|
_Bez_SS_CAS_3kmSE_Rio_Naranjo_GU_CR_SS.jpg)
Specimen Type: holotype Sex: m Institution: CAS California Academy of Sciences, San Francisco, CA, USA Photographer: Antonio Santos-Silva Collection Location: 3 km SE Rio Naranjo, Guanacaste, Costa Rica 70059
|
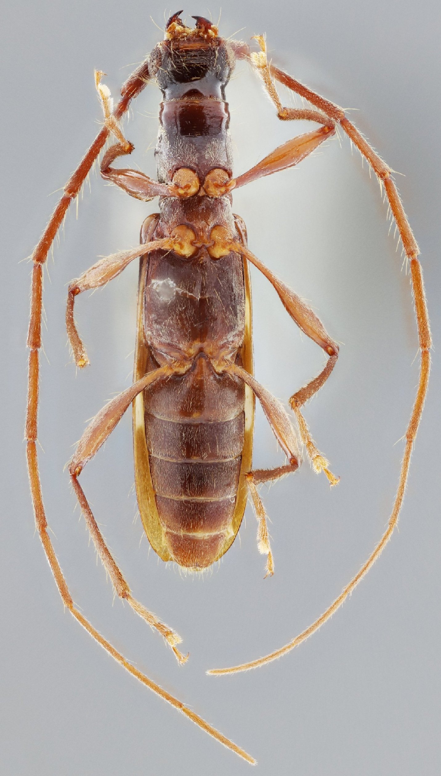
_Bez_SS_CAS_3kmSE_Rio_Naranjo_GU_CR_SS.jpg)
Specimen Type: holotype Sex: m Institution: CAS California Academy of Sciences, San Francisco, CA, USA Photographer: Antonio Santos-Silva Collection Location: 3 km SE Rio Naranjo, Guanacaste, Costa Rica 70056
|
_Bez_SS_CAS_3kmSE_Rio_Naranjo_GU_CR_SS.jpg)
Specimen Type: holotype Sex: m Institution: CAS California Academy of Sciences, San Francisco, CA, USA Photographer: Antonio Santos-Silva Collection Location: 3 km SE Rio Naranjo, Guanacaste, Costa Rica 70057
|
_Bez_SS_CAS_3kmSE_Rio_Naranjo_GU_CR_SS.jpg)
Specimen Type: holotype Sex: m Institution: CAS California Academy of Sciences, San Francisco, CA, USA Photographer: Antonio Santos-Silva Collection Location: 3 km SE Rio Naranjo, Guanacaste, Costa Rica 70058
|
_Bez_SS_LGBC_3kmSE_Rio_Naranjo_GU_CR_SS.jpg)
Specimen Type: paratype Sex: f Institution: LGBC Larry G. Bezark Collection, Sacramento, California, USA Photographer: Antonio Santos-Silva Collection Location: 3 km SE Rio Naranjo, Guanacaste, Costa Rica 70060
|
|