New Search Family, Subfamily and Tribe List

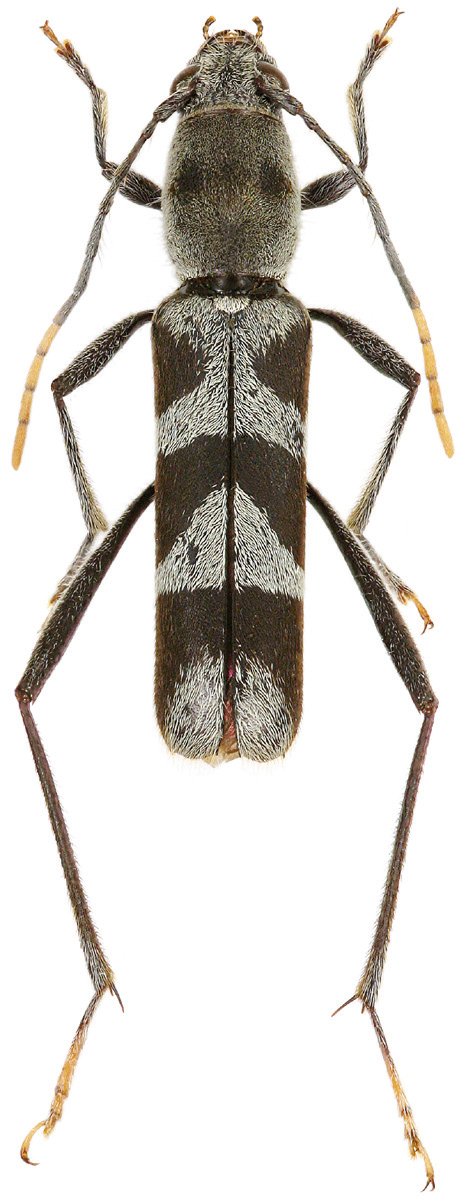
SubFamily Cerambycinae

Tribe Clytini
Xylotrechus affinis Gahan 1906

Institution: LGBC Larry G. Bezark Collection, Sacramento, California, USA
Photographer: Larry G. Bezark
Collection Location: Sabah, Borneo
66661


Photographer: Robert Vigneault, Cerambycoidea Forum
Collection Location: Sabah, Borneo
66662


Sex: m
Institution: Viktora Collection
Photographer: Petr Viktora
Collection Location: Pahang, Malaysia
76611

130425