New Search Family, Subfamily and Tribe List

SubFamily Cerambycinae

Tribe Clytini
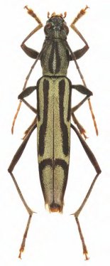
Rhaphuma shelfordi Dauber 2008

Specimen Type: holotype
Sex: m
Institution: BMNH British Museum Natural History, London, UK
Determiner: Linzer biologische Beiträge
Collection Location: Sarawak, Borneo
60116


Institution: LGBC Larry G. Bezark Collection, Sacramento, California, USA
Photographer: Larry G. Bezark
Collection Location: Mt Trus Madi, Sabah, Borneo
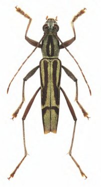
60117


Sex: m
Institution: Viktora Collection
Determiner: Folia Heyrovskyana, Praha
Collection Location: Mt Trus Madi, Sabah, Borneo
58810


Sex: f
Institution: Viktora Collection
Determiner: Folia Heyrovskyana, Praha
Collection Location: Mt Trus Madi, Sabah, Borneo
58811

130425