_Aurivillius.jpg)
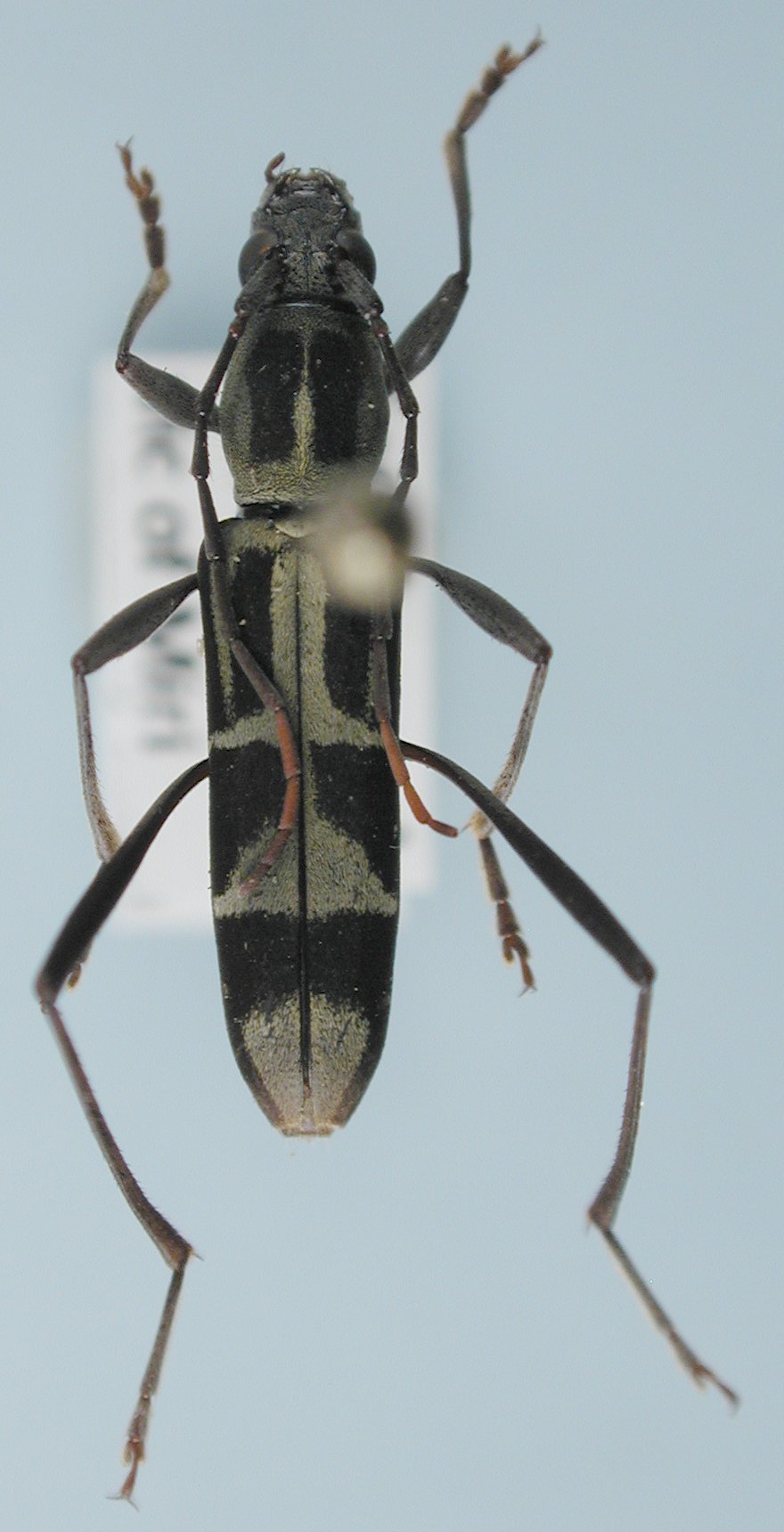
Specimen Type: syntype Institution: NHRS Naturhistoriska Riksmuseet, Stockholm, Sweden Determiner: Arkiv för Zoologi, Uppsala Collection Location: Borneo 59980
|

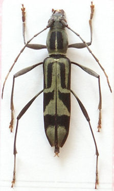
Institution: LGBC Larry G. Bezark Collection, Sacramento, California, USA Photographer: Larry G. Bezark Determiner: Max Smirnov, Cerambycoidea Forum Collection Location: vic Miri, East Sarawak, Borneo 81638
|
_Auriv_Sabah_Borneo_Viktora_coll.jpg)
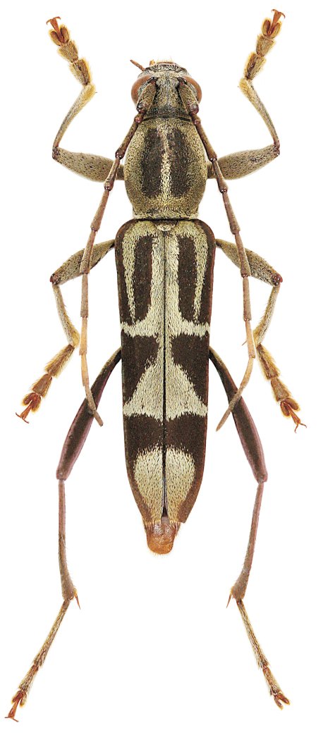
Sex: m Institution: Viktora Collection Photographer: Petr Viktora Collection Location: Sabah, Borneo 69877
|

Institution: LGBC Larry G. Bezark Collection, Sacramento, California, USA Photographer: Larry G. Bezark Collection Location: Mt Trus Madi, Sabah, Borneo 59981
|

Photographer: Robert Vigneault, Cerambycoidea Forum 59982
|
_Aurivillius_Makihara.jpg)
Sex: f Photographer: Makihara 59983
|
|