_Dauber_coll_Malaysia_Borneo_Crocker_Range.jpg)
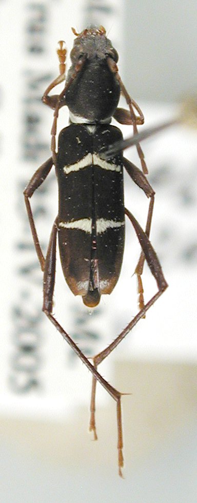
Specimen Type: holotype Sex: f Institution: Dauber Collection Determiner: Linzer biol. Beitrage Collection Location: Crocker Range, Sabah, Borneo, Malaysia 37042
|

Institution: JCPC Jim Cope Collection, San Jose, California, USA now at CSCA, Sacramento Photographer: Larry G. Bezark Determiner: Dieter Dauber Collection Location: Mt Trus Madi, Sabah, Borneo 99011
|