New Search Family, Subfamily and Tribe List

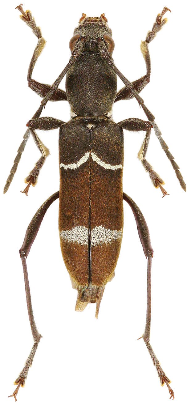
SubFamily Cerambycinae

Tribe Clytini
Demonax nawatai Hayashi 1975

Sex: m
Institution: Viktora Collection
Photographer: Petr Viktora
Collection Location: Mt Bawang, Kalimantan, Indonesia
71405


Sex: f
Institution: Viktora Collection
Photographer: Petr Viktora
Collection Location: Tawau, Sabah, Malaysia
71406


Sex: f
Determiner: Bulletin Osaka Jonan Women's College
Collection Location: Kayu Kapur Camp, Borneo
36965

130425