
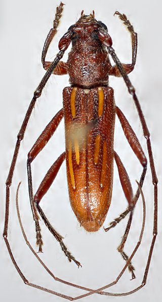
Erosida trilineata Aurivillius Specimen Type: holotype Sex: m Institution: NHRS Naturhistoriska Riksmuseet, Stockholm, Sweden Collection Location: São Leopoldo, Rio Grande do Sul, Brazil 30839
|
_Det_Chemsak_UCB.jpg)
Institution: UCB Essig Museum of Entomology, Berkeley, California, USA Photographer: Larry G. Bezark Determiner: Chemsak 7122
|