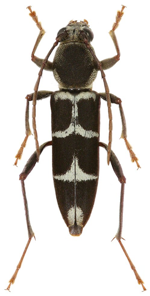
_Dauber_Mt_Trus-Madi_Borneo.jpg)
Specimen Type: holotype Sex: m Institution: Dauber Collection Determiner: Linzer biol. Beitrage Collection Location: Mt Trus Madi, Sabah, Malaysia 36415
|
 Dauber CPV Sabah, Borneo.jpg)
Sex: f Institution: Viktora Collection Photographer: Petr Viktora Collection Location: Sabah, Borneo 76544
|