_Holzschuh_Coll_Mt_Trus_madi_Sabah_Borneo_LD.jpg)
Specimen Type: holotype Sex: m Institution: Holzschuh Collection Photographer: Lubo Dembický Collection Location: Mt Trus Madi, Sabah, Borneo 71890
|
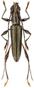
_Holzschuh_Sabah_Malaysia_LGB.jpg)
Specimen Type: paratype Institution: LGBC Larry G. Bezark Collection, Sacramento, California, USA Photographer: Larry G. Bezark Collection Location: Sabah, Borneo, Malaysia 48478
|

Institution: LGBC Larry G. Bezark Collection, Sacramento, California, USA Photographer: Larry G. Bezark Collection Location: Sabah, Borneo, Malaysia 48479
|

Determiner: Studies and Reports, Taxonomical Series Collection Location: Sabah, Borneo 59225
|
|