New Search Family, Subfamily and Tribe List

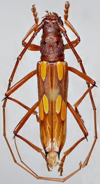
SubFamily Cerambycinae

Tribe Eburiini
Eburodacrys sexguttata Lameere 1884

Sex: m
Photographer: Juan Pablo Botero
63440


Photographer: Jim Wappes
Collection Location: Bolivia
7105


Institution: CAS California Academy of Sciences, San Francisco, CA, USA
Photographer: Larry G. Bezark
7106


Photographer: Jim Wappes
Collection Location: Bolivia
7107

130425