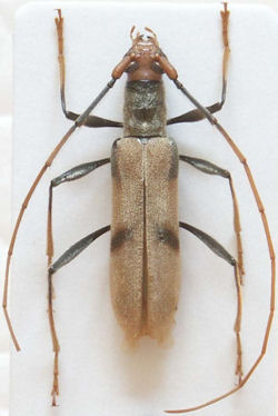
_Pascoe_Sabah.jpg)
Sex: m Institution: Heffern Collection Photographer: Dan Heffern Collection Location: Sabah, Borneo 71906
|

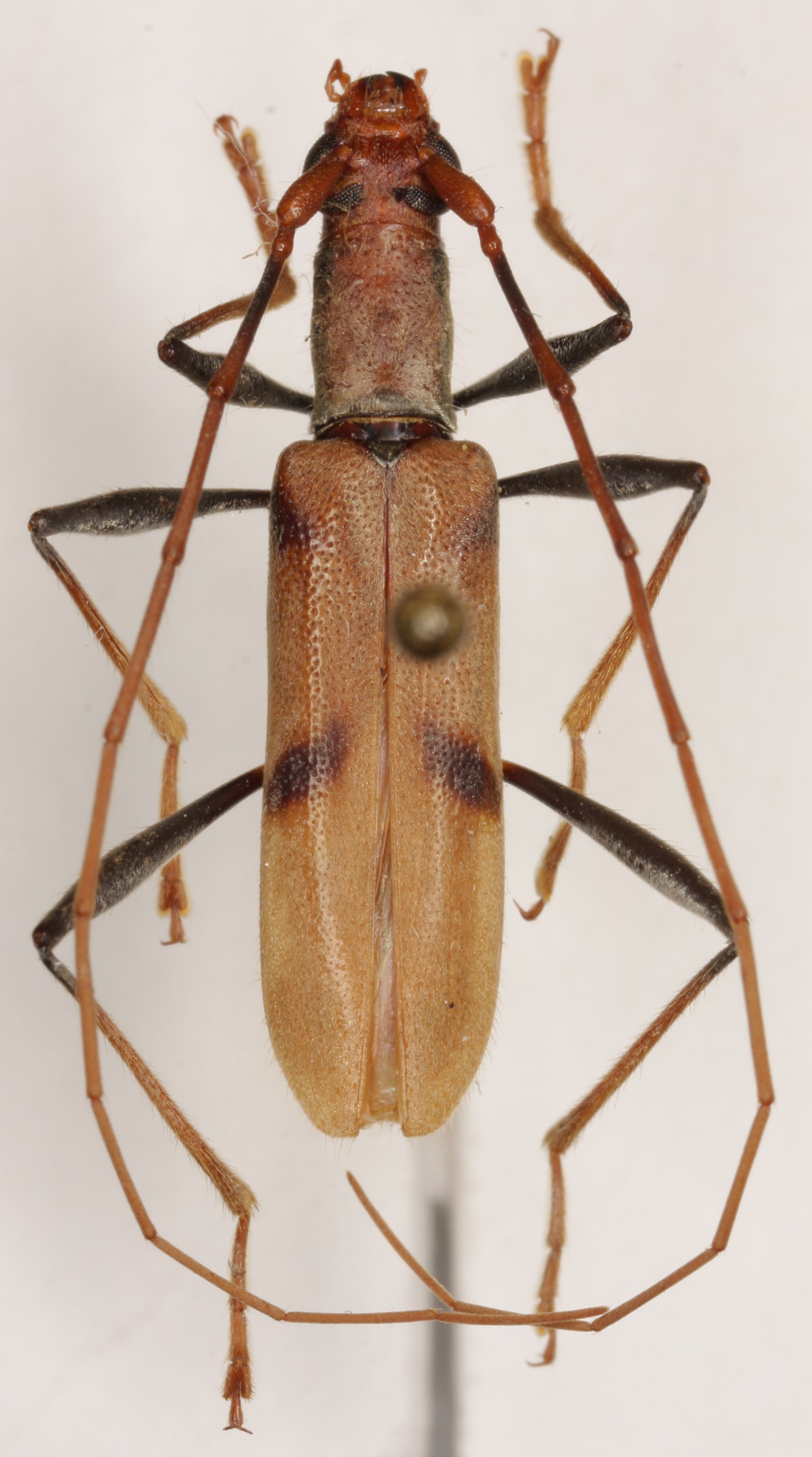
Institution: LGBC Larry G. Bezark Collection, Sacramento, California, USA Photographer: Larry G. Bezark Collection Location: Sabah, Borneo 60475
|

Photographer: Robert Vigneault, Cerambycoidea Forum Collection Location: Sabah, Borneo 60476
|
|