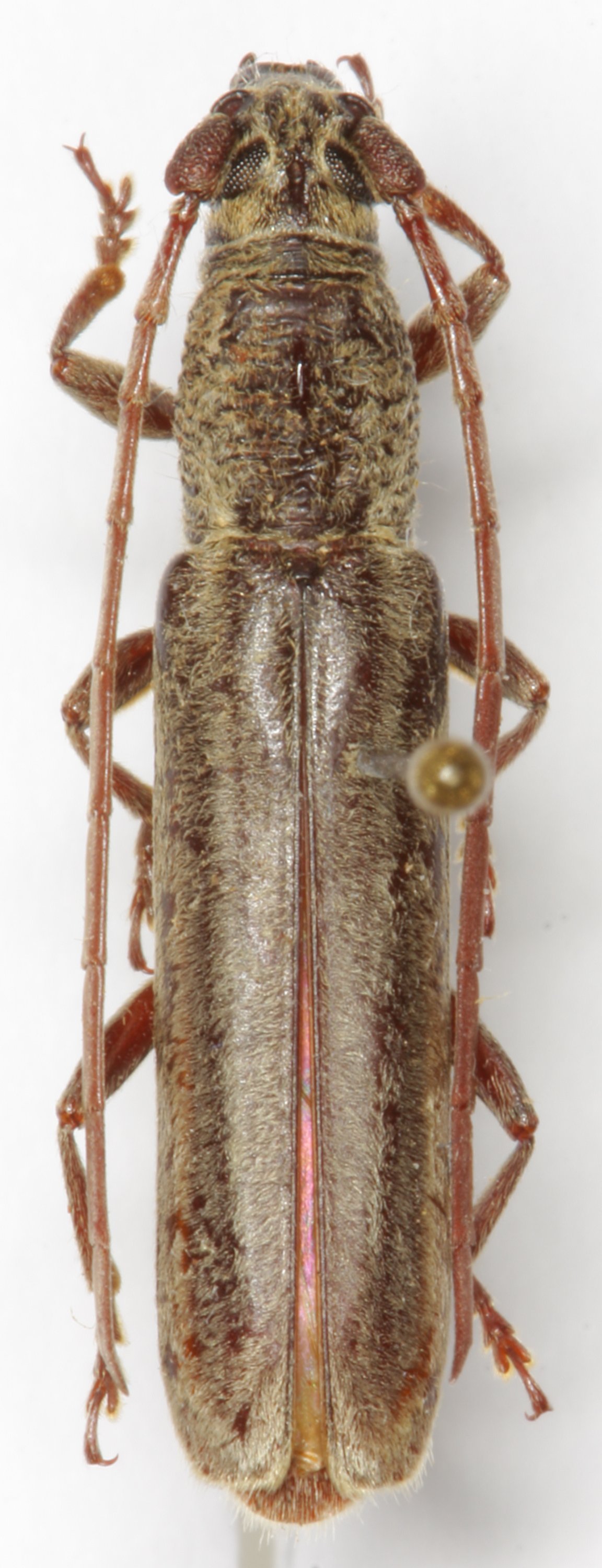
_DJH.jpg)
Specimen Type: holotype Sex: m Institution: Holzschuh Collection Photographer: Lubo Dembický Collection Location: Mt Trus Madi, Sabah, Borneo 60786
|
_Holzschuh_Mt_Trus_Madi_Sabah_Borneo.jpg)
Specimen Type: paratype Sex: m Institution: Heffern Collection Photographer: Dan Heffern Collection Location: Mt Trus Madi, Sabah, Borneo 71913
|