_Monne_and_Martins_MNRJ_SWL.jpg)
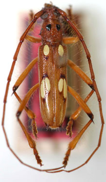
Specimen Type: holotype Sex: m Institution: MNRJ Museu Nacional Universidade do Rio Janeiro, Brazil Photographer: Steve Lingafelter Collection Location: Sinop, Mato Grosso, Brazil 7054
|

Specimen Type: holotype Sex: m Institution: MNRJ Museu Nacional Universidade do Rio Janeiro, Brazil Collection Location: Sinop, Mato Grosso, Brazil 21860
|