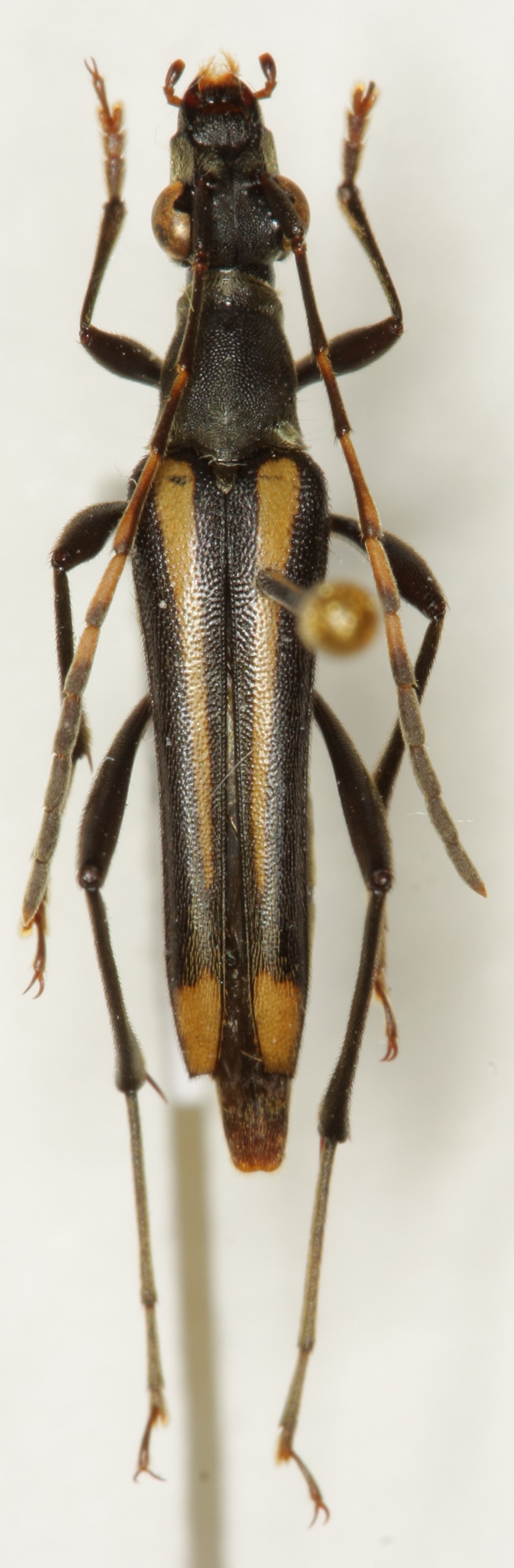
_Hayashi_OMNH_Cameron_Highlands_Tanah_Rata_Pahang_Malaysia.jpg)
Specimen Type: holotype Sex: m Institution: OMNH Osaka Museum of Natural History, Japan Photographer: Jianhua Huang Collection Location: Cameron Highlands, Tanah Rata, Pahang, Malaysia 71482
|

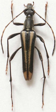
Institution: Heffern Collection Photographer: Dan Heffern Collection Location: Sabah, Borneo 71857
|