_Gounelle_Botero.jpg)
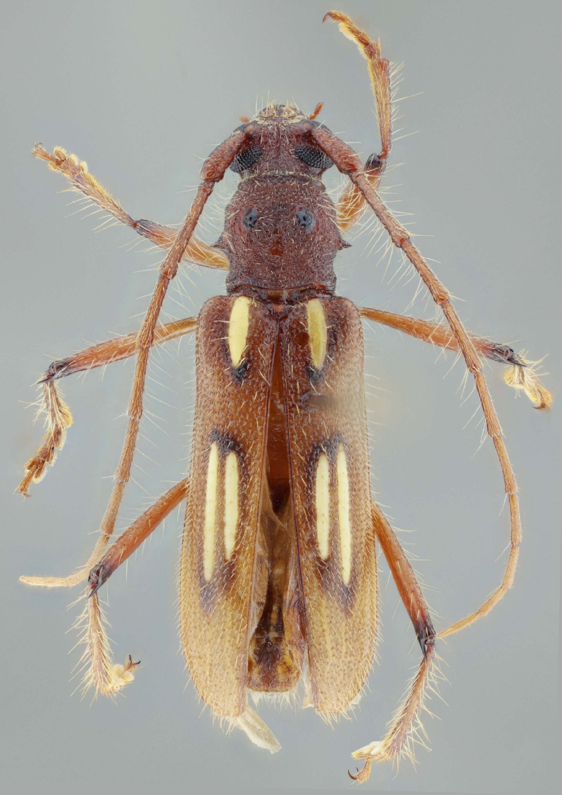
Sex: m Photographer: Juan Pablo Botero Collection Location: Sao Paolo, Brazil 24584
|

Sex: f Institution: ZUFMS Coleção Zoológica da Universidade Federal de Mato Grosso do Sul, Brazil Photographer: Antonio Santos-Silva Collection Location: Campo Grande, Mato Grosso do Sul, Brazil 101012
|