New Search Family, Subfamily and Tribe List

SubFamily Prioninae

Tribe Aegosomatini
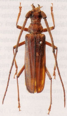
Aegolipton kinabalum Komiya 2005

Specimen Type: holotype
Sex: m
Institution: NMST National Science Museum (Nat. Hist.), Tokyo, Japan
Photographer: Ziro Komiya
Determiner: Elytra
Collection Location: Mt. Kinabalu, E Malaysia
31207

130425