_Mart_and_Galileo_MNRJ_Tiara_Aragua_Venezuela.jpg)
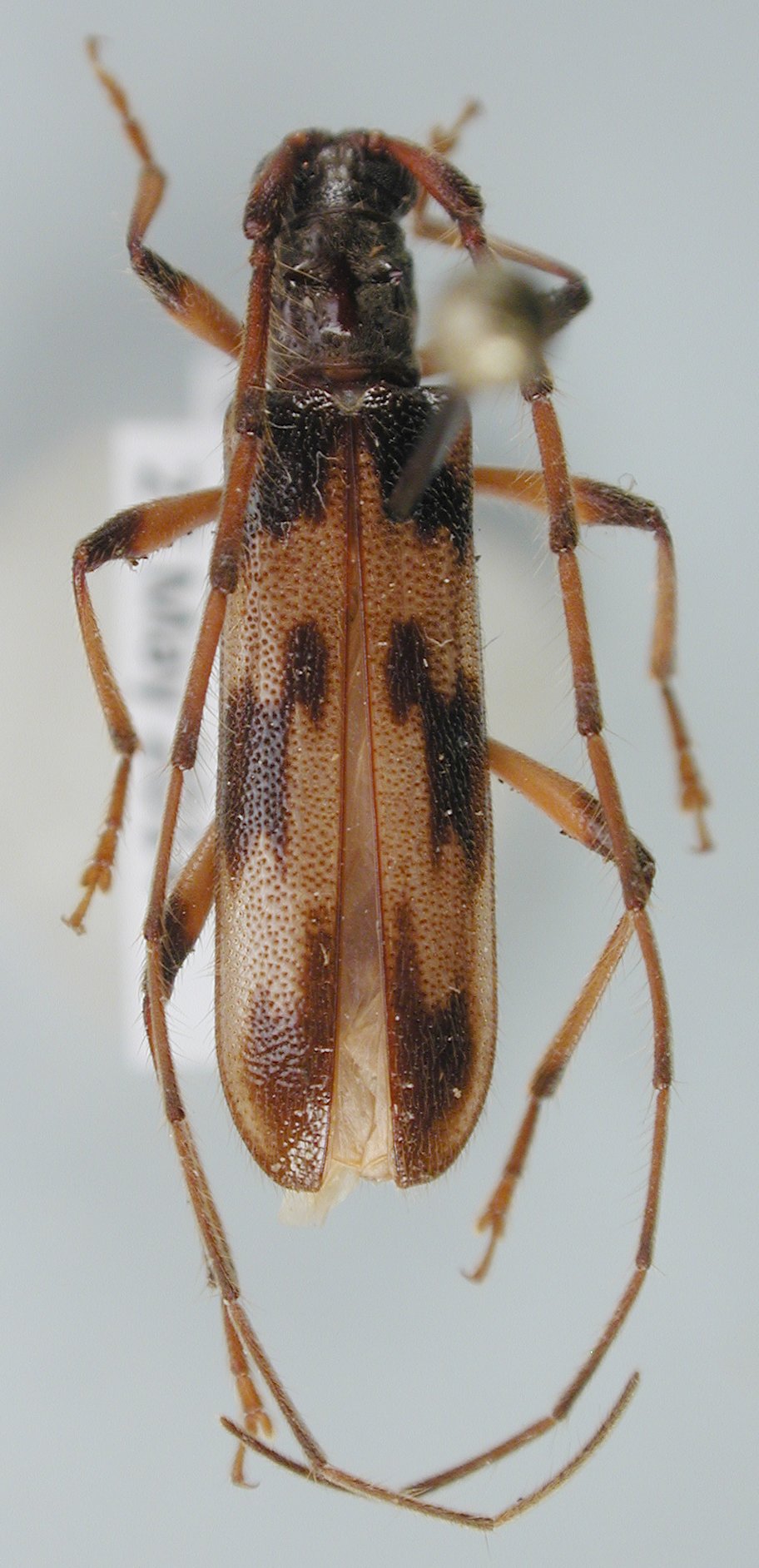
Specimen Type: paratype Sex: m Institution: MNRJ Museu Nacional Universidade do Rio Janeiro, Brazil Photographer: Larry G. Bezark Collection Location: Tiara, Aragua, Venezuela 33330
|
_Martins_and_Galileo_MZSP_Kavanayen_Bolivar_Venezuela_SS_photo.jpg)
Specimen Type: paratype Sex: m Institution: MNRJ Museu Nacional Universidade do Rio Janeiro, Brazil Photographer: Antonio Santos-Silva Collection Location: Tiara, Aragua, Venezuela 27093
|

Institution: LGBC Larry G. Bezark Collection, Sacramento, California, USA Photographer: Larry G. Bezark Collection Location: Geremba, Aragua, Venezuela 76383
|
|