New Search Family, Subfamily and Tribe List

SubFamily Lamiinae

Tribe Acanthocinini
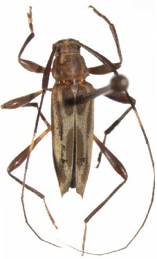
Pseudosparna aragua Mermudes & Monné 2009

Specimen Type: holotype
Sex: f
Institution: IZAFM Instituto de Zoología Agrícola, Faculdad de Agronomía de Maracay, Venezuela
Collection Location: Rancho Grande, Aragua, Venezuela
27199

130425