New Search Family, Subfamily and Tribe List

SubFamily Cerambycinae

Tribe Eburiini
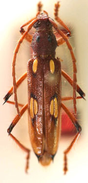
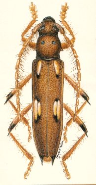
Eburiaca sinopia Martins 1999

Specimen Type: holotype
Sex: f
Institution: MNRJ Museu Nacional Universidade do Rio Janeiro, Brazil
Photographer: Steve Lingafelter
Collection Location: Sinop, Mato Grosso, Brazil
20275


21281

130425