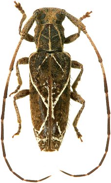
_Mart_and_Galil_and_Tav_MZUSP_Kaw_French_Guiana.jpg)
Specimen Type: holotype Sex: m Institution: MZSP Museu de Zoologia da Universidade de São Paulo, Brazil Collection Location: Kaw French Guiana 25999
|
_Mart_and_Galil_and_Tav_MNHN_Kaw_French_Guiana.jpg)
Specimen Type: paratype Sex: f Institution: MNHN Museum of Natural History Paris, France Collection Location: Kaw French Guiana 25998
|

Photographer: Denis Faure Collection Location: French Guiana 28845
|

Photographer: Odette Morvan Collection Location: French Guiana 40068
|
 Matoury, French Guiana Robin.jpg)
Sex: m Photographer: Frédéric Robin Collection Location: Matoury, French Guiana 78478
|