New Search Family, Subfamily and Tribe List

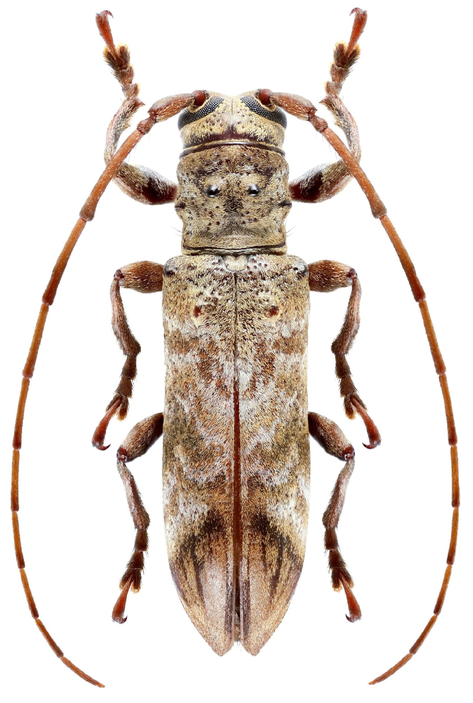
SubFamily Lamiinae

Tribe Pteropliini
Rhaphiptera avicenniae Dalens & Tavakilian 2007

Specimen Type: holotype
Sex: m
Institution: MNHN Museum of Natural History Paris, France
Collection Location: French Guiana
27517


Sex: f
Photographer: Frédéric Robin
Collection Location: Montagne de Peres, Kourou, French Guiana
96158


Photographer: Jean-Louis Giuglaris
Collection Location: Cayenne, French Guiana
29316

130425