_M_G_MPEG_Buriticupu_Maranhao_Braz_SS.jpg)
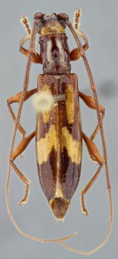
Specimen Type: holotype Sex: f Institution: MPEG Museu Paraense Emilio Goeldi, Belem, Para, Brazil Photographer: Antonio Santos-Silva Collection Location: Buriticupu, Maranhao, Brazil 53520
|
_Martins_and_Galileo_MPEG_Buriticupu_Maranhao_Brazil_Santos-Silva_photo.jpg)
Specimen Type: holotype Sex: f Institution: MPEG Museu Paraense Emilio Goeldi, Belem, Para, Brazil Photographer: Antonio Santos-Silva Collection Location: Buriticupu, Maranhao, Brazil 26465
|