New Search Family, Subfamily and Tribe List

SubFamily Lamiinae

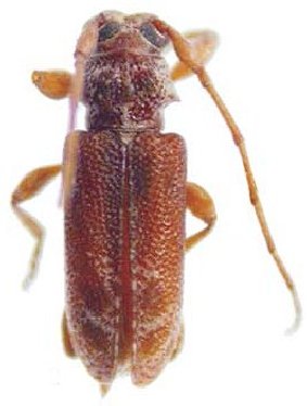
Tribe Acanthoderini
Punctozotroctes nordestinus Martins & Galileo 2007

Specimen Type: holotype
Sex: m
Institution: CMNH Carnegie Museum of Natural History, Pittsburgh, PA, USA
Collection Location: Pernambuco, Brazil
23756

130425