_(Tava_and_Penah)_=_Ecliptoides.jpg)
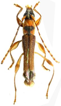
Ommata fanchonae Tavakilian & Penaherrera-Leiva Specimen Type: paratype Sex: m Institution: MNHN Museum of Natural History Paris, France Photographer: Gerard Tavakilian 37137
|
_St_Laurent_Fr_Guiana_Giuglaris.jpg)
Photographer: Jean-Louis Giuglaris Collection Location: St Laurent, French Guiana 29045
|