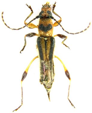
 Pena-L Tava MNHN Montagne Singes pk 47, French Guiana SS.jpg)
Specimen Type: paratype Sex: f Institution: MNHN Museum of Natural History Paris, France Photographer: Antonio Santos-Silva Collection Location: Montagne Singes pk 47, French Guiana 98903
|
 Pena_L Tava MZSP Amazonas, Brazil SS.jpg)
Specimen Type: paratype Sex: f Institution: MNHN Museum of Natural History Paris, France Photographer: Antonio Santos-Silva Collection Location: Montagne Singes pk 47, French Guiana 98904
|

Institution: LGBC Larry G. Bezark Collection, Sacramento, California, USA Photographer: Larry G. Bezark Collection Location: Belizon, French Guiana 78392
|

Institution: LGBC Larry G. Bezark Collection, Sacramento, California, USA Photographer: Larry G. Bezark Collection Location: Belizon, French Guiana 78393
|
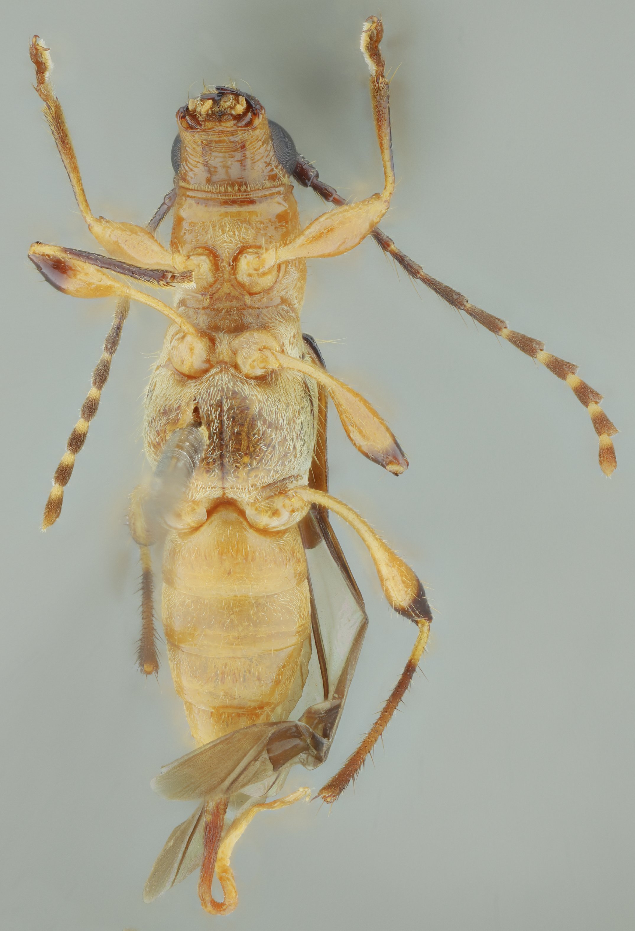
 Pena_L Tava MZSP Amazonas, Brazil SS.jpg)
Sex: f Institution: MZSP Museu de Zoologia da Universidade de São Paulo, Brazil Photographer: Antonio Santos-Silva Collection Location: Amazonas, Brazil 28835
|
 Pena_L Tava MZSP Amazonas, Brazil SS.jpg)
Sex: f Institution: MZSP Museu de Zoologia da Universidade de São Paulo, Brazil Photographer: Antonio Santos-Silva Collection Location: Amazonas, Brazil 22794
|
 Pena_L Tava MZSP Amazonas, Brazil SS.jpg)
Sex: f Institution: MZSP Museu de Zoologia da Universidade de São Paulo, Brazil Photographer: Antonio Santos-Silva Collection Location: Amazonas, Brazil 21999
|
|