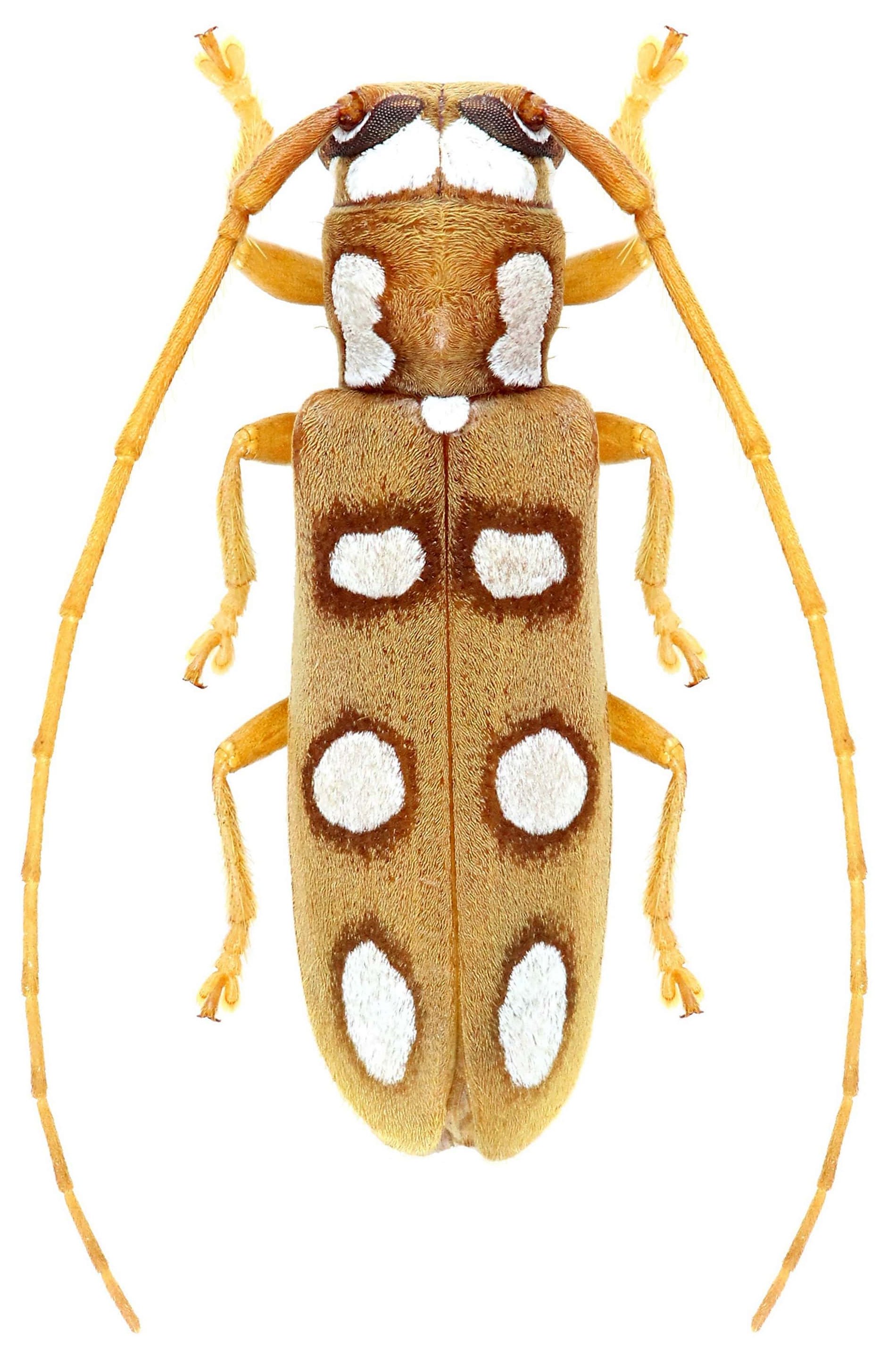
_(m)_Galileo_and_Martins_Iheringia.jpg)
Specimen Type: paratype Sex: m 20488
|
 Gal Mart Kaw Mountains, Roura, French Guiana Robin.jpg)
Sex: f Photographer: Frédéric Robin Collection Location: Kaw Mountains, Roura, French Guiana 79308
|

Photographer: Denis Faure Collection Location: French Guiana 28875
|

Photographer: Jean-Louis Giuglaris Collection Location: Kaw, French Guiana 28876
|
|