_G_and_M_Nearns.jpg)
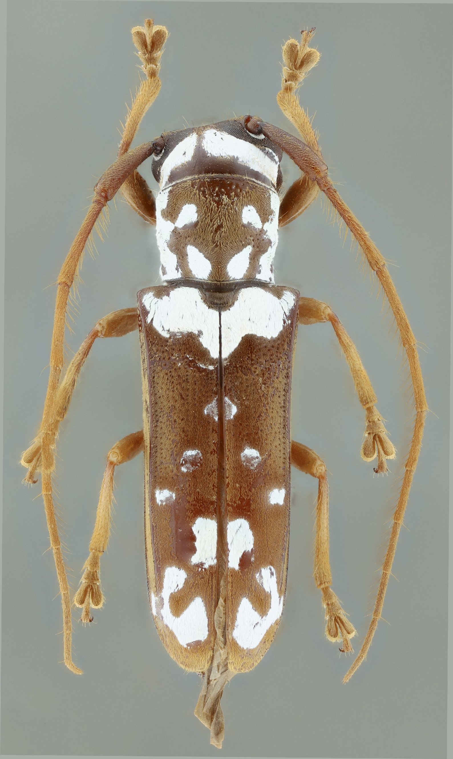
Specimen Type: holotype Sex: m Institution: NMNH United States National Museum, Washington, DC, USA Photographer: Gino Nearns Collection Location: Reserva Etnica, Waorani, Napo, Ecuador 41969
|
_Galileo_and_Martins_Reserva_Etnica_Waorani_Napo_Ecuador_Pap_Avuls_Zool.jpg)
Specimen Type: holotype Sex: m Institution: NMNH United States National Museum, Washington, DC, USA Collection Location: Reserva Etnica, Waorani, Napo, Ecuador 22443
|