New Search Family, Subfamily and Tribe List

SubFamily Cerambycinae

Tribe Oemini
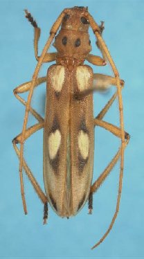
Paramartinsia quadrimaculata Martins & Galileo 2005

Specimen Type: holotype
Institution: MNKM Museo de Hist Nat Noel Kempff Mercado Santa Cruz de la Sierra, Bolivia
Photographer: Paul Skelley
Collection Location: Buena Vista, Santa Cruz, Bolivia
23606

130425