_Bates_BMNH_Santo_Domingo_Chontales_Nicaragua_nowEburia_LGB.jpg)
Specimen Type: lectotype Sex: m Institution: BMNH British Museum Natural History, London, UK Photographer: Larry G. Bezark Collection Location: Santo Domingo, Chontales, Nicaragua 47184
|
_Bates_BMNH_Santo_Domingo_Chontales_Nicaragua_nowEburia_LGB.jpg)
Specimen Type: lectotype Sex: m Institution: BMNH British Museum Natural History, London, UK Photographer: Larry G. Bezark Collection Location: Santo Domingo, Chontales, Nicaragua 47185
|
 Bates BMNH Santo Domingo, Chontales, Nicaragua KM.jpg)
Specimen Type: lectotype Sex: m Institution: BMNH British Museum Natural History, London, UK Photographer: Keita Matsumoto Collection Location: Santo Domingo, Chontales, Nicaragua 78782
|
 Bates BMNH Santo Domingo, Chontales, Nicaragua KM.jpg)
Specimen Type: lectotype Sex: m Institution: BMNH British Museum Natural History, London, UK Photographer: Keita Matsumoto Collection Location: Santo Domingo, Chontales, Nicaragua 78783
|
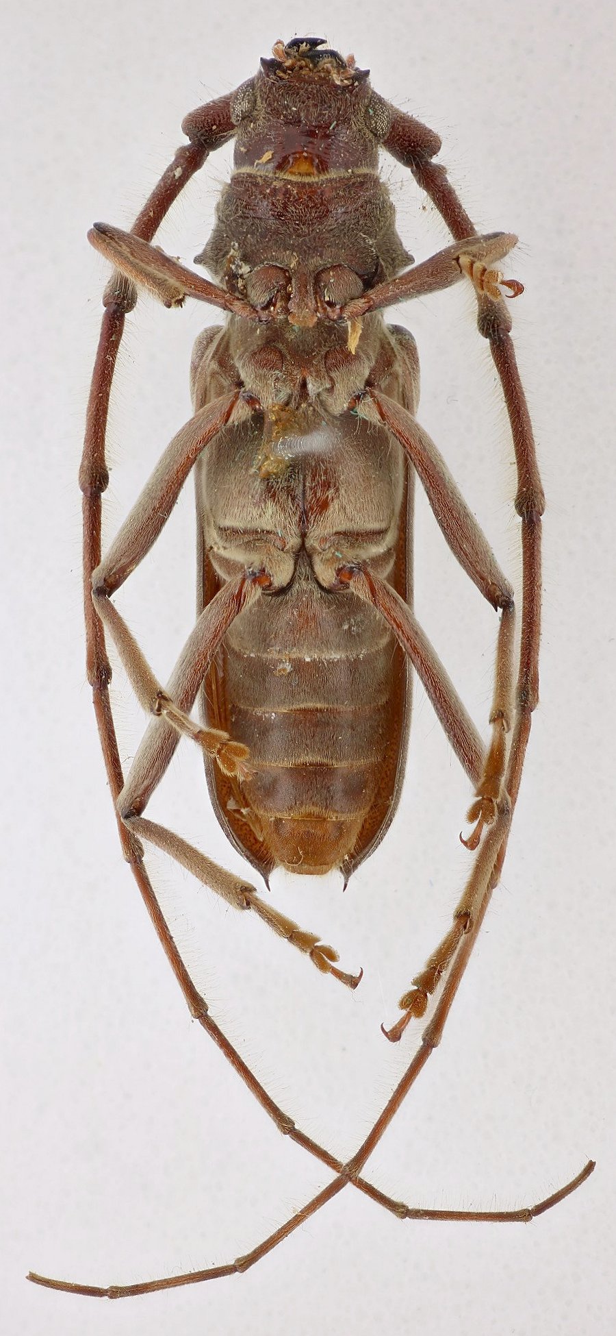
 Bates BMNH Santo Domingo, Chontales, Nicaragua KM.jpg)
Specimen Type: lectotype Sex: m Institution: BMNH British Museum Natural History, London, UK Photographer: Keita Matsumoto Collection Location: Santo Domingo, Chontales, Nicaragua 78784
|
 Bates BMNH Santo Domingo, Chontales, Nicaragua KM.jpg)
Specimen Type: lectotype Sex: m Institution: BMNH British Museum Natural History, London, UK Photographer: Keita Matsumoto Collection Location: Santo Domingo, Chontales, Nicaragua 78785
|
_BCA.jpg)
Institution: BCA Biologia Centrali Americana 6884
|
_FTH.jpg)
Institution: FTH Frank T. Hovore collection (now at California Academy of Sciences) Photographer: Larry G. Bezark 6885
|
_LGB.jpg)
Photographer: Larry G. Bezark 6886
|

Photographer: Steve Lingafelter Collection Location: Nicaragua 25767
|
|