_Noguera_Zapote_Upala_Alajuela_Costa_Rica_UCB.jpg)
Specimen Type: holotype Sex: m Institution: UCB Essig Museum of Entomology, Berkeley, California, USA Collection Location: Zapote, Upala, Alajuela, Costa Rica 16167
|
_Noguera_4km_NW_La_Pacifica_Guanacaste_Costa_Rica_UCB.jpg)
Specimen Type: allotype Institution: UCB Essig Museum of Entomology, Berkeley, California, USA Collection Location: 4km NW La Pacifica, Guanacaste, Costa Rica 16166
|
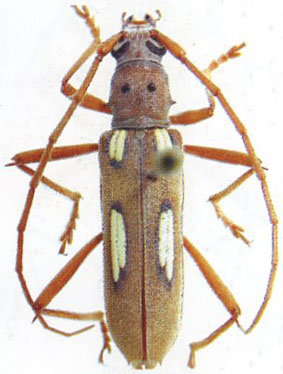
_Noguera_Costa_Rica_UCB.jpg)
Specimen Type: paratype Institution: UCB Essig Museum of Entomology, Berkeley, California, USA Photographer: Larry G. Bezark Collection Location: Costa Rica 6859
|
_Noguera_FTH.jpg)
Specimen Type: paratype Institution: FTH Frank T. Hovore collection (now at California Academy of Sciences) Photographer: Larry G. Bezark 6860
|

Photographer: Felipe Noguera 6861
|

Photographer: Steve Lingafelter Collection Location: Nicaragua 25765
|
|