 Bates BMNH Plan del Rio, Veracruz, Mexico Moure.jpg)
Specimen Type: lectotype Sex: m Institution: BMNH British Museum Natural History, London, UK Photographer: JS Moure Collection Location: Plan del Rio, Veracruz, Mexico 100898
|
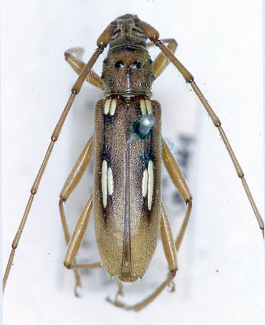
_Chemsak_and_Linsley_CAS_type_11955_=_aegrota.jpg)
Eburia minutivestis Chemsak & Linsley Specimen Type: holotype Sex: m Institution: CAS California Academy of Sciences, San Francisco, CA, USA Photographer: Larry G. Bezark Collection Location: Cotaxtla Experiment Station, Cotaxtla, Veracruz, Mexico 22245
|