 Bates MNHN Para, Brazil Moure.jpg)
Specimen Type: holotype Sex: f Institution: MNHN Museum of Natural History Paris, France Photographer: JS Moure Collection Location: Para, Brazil 100778
|

Photographer: Jim Wappes Collection Location: Bolivia 28628
|

Institution: TAMU Texas A & M University, College Station, Texas, USA Photographer: Dan Heffern 20872
|
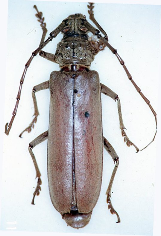
 Bates Saut Mapaou, Regina, French Guiana Robin.jpg)
Sex: f Photographer: Frédéric Robin Collection Location: Saut Mapaou, Regina, French Guiana 78149
|
|