 Gounelle MNHN Jatai, Goias, Brazil now Coleo Moure.jpg)
Xestia waterhousei Gounelle Specimen Type: syntype Institution: MNHN Museum of Natural History Paris, France Photographer: JS Moure Collection Location: Jatai, Goias, Brazil 100569
|
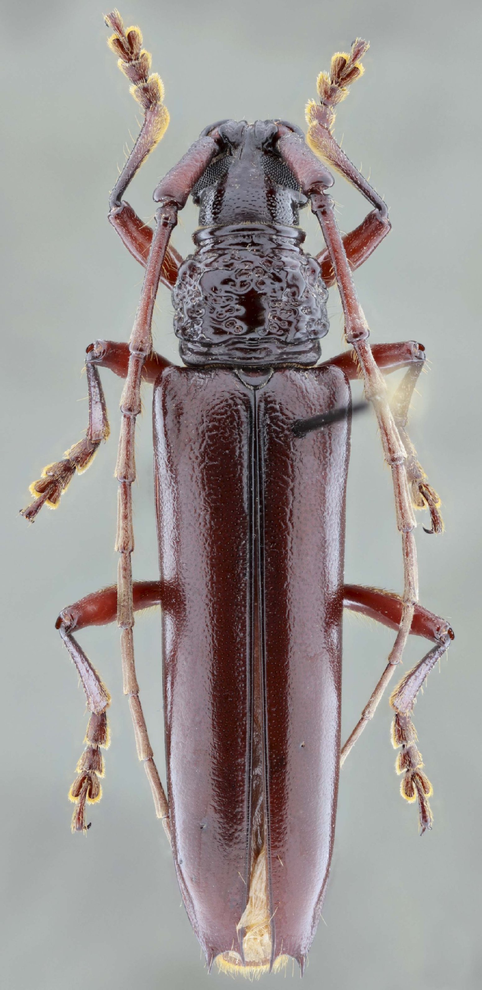
 Melzer MZSP Joinville, Santa Catarina, Brazil now waterh Moure.jpg)
Coleoxestia denticollis Melzer Specimen Type: holotype Sex: f Institution: MZSP Museu de Zoologia da Universidade de São Paulo, Brazil Photographer: JS Moure Collection Location: Joinville, Santa Catarina, Brazil 100570
|
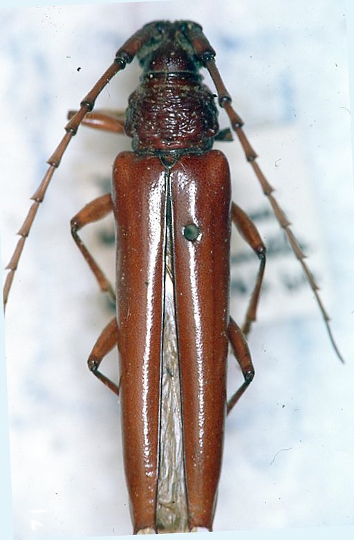
 (Gounelle) DJH Pampagrande, Santa Cruz, Bolivia SS.jpg)
Sex: m Institution: Heffern Collection Photographer: Antonio Santos-Silva Collection Location: Pampagrande, Santa Cruz, Bolivia 81223
|
 ZUFMS Dois Irmaos do Buriti Mato Grosso do Sul, Brazil SS.jpg)
Sex: f Institution: ZUFMS Coleção Zoológica da Universidade Federal de Mato Grosso do Sul, Brazil Photographer: Antonio Santos-Silva Collection Location: Dois Irmaos do Buriti Mato Grosso do Sul, Brazil 101011
|
.jpg)
Institution: CAS California Academy of Sciences, San Francisco, CA, USA Photographer: Larry G. Bezark 5828
|
_Bolivia_Wappes_Photo.jpg)
Photographer: Jim Wappes Collection Location: Bolivia 5829
|
_MNRJ_SWL.jpg)
Institution: MNRJ Museu Nacional Universidade do Rio Janeiro, Brazil Photographer: Steve Lingafelter 5830
|
_Paraguay_Dep_Alto_Parana_Mehl.jpg)
Photographer: Ole Mehl Collection Location: Department Alto Parana, Paraguay 36686
|