_Fragoso_MNRJ_GN.jpg)
Specimen Type: holotype Sex: m Institution: MNRJ Museu Nacional Universidade do Rio Janeiro, Brazil Photographer: Gino Nearns Collection Location: Porto Espiridião, Mato Grosso, Brazil 23883
|
_Fragoso_MNRJ_SWL.jpg)
Specimen Type: paratype Institution: MNRJ Museu Nacional Universidade do Rio Janeiro, Brazil Photographer: Steve Lingafelter 5813
|
_Beizon_Kaw_Cacao_Fr_Guiana_Giuglaris.jpg)
Photographer: Jean-Louis Giuglaris Collection Location: Belizon, French Guiana 28648
|
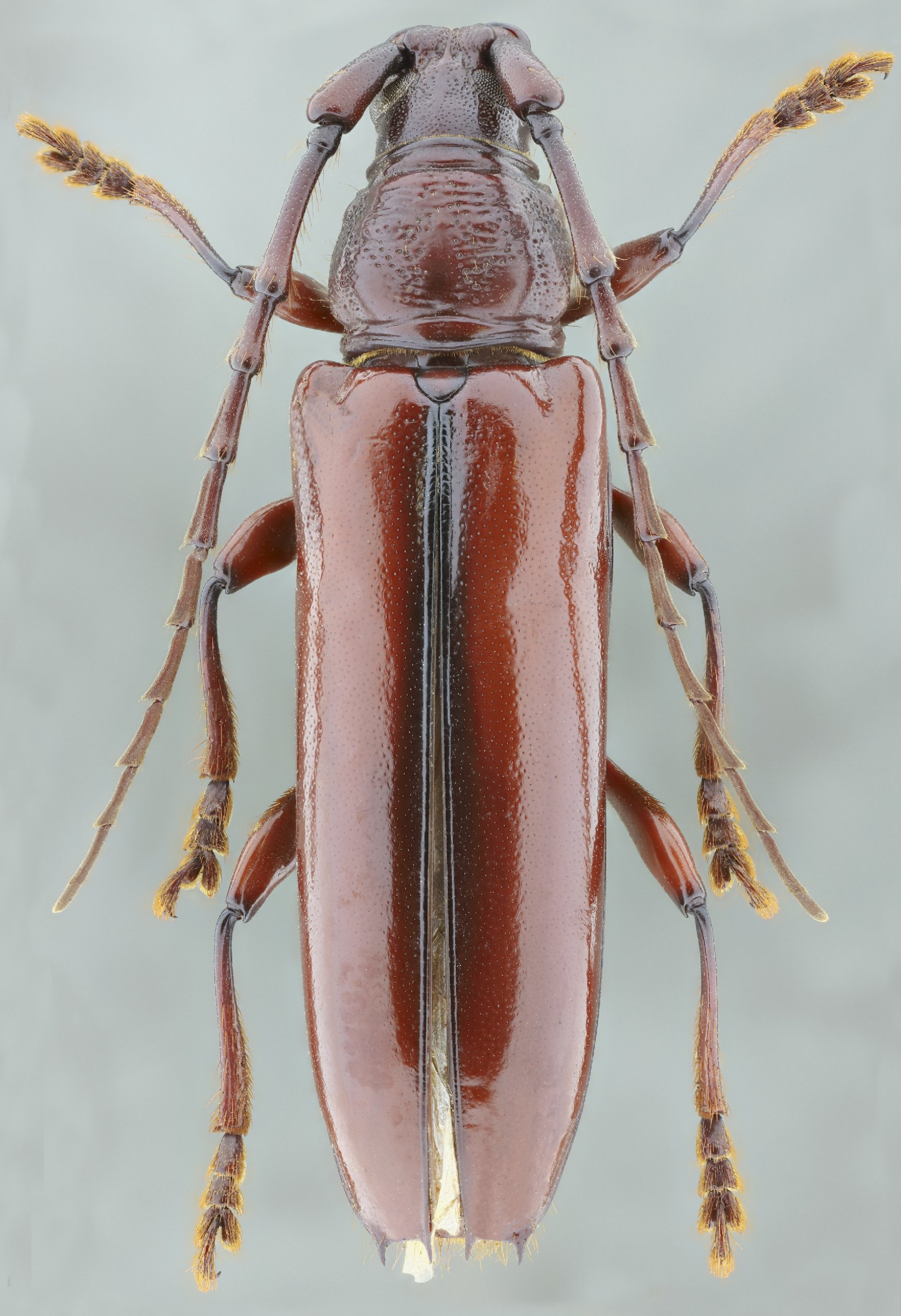
_Fragoso_SS.jpg)
Sex: f Photographer: Antonio Santos-Silva 53357
|
 Fragoso piste dApatou, French Guiana Robin.jpg)
Sex: f Photographer: Frédéric Robin Collection Location: piste d'Apatou, French Guiana 78142
|
 Fragoso Ramirez Coll Pebas, Rio Amazonas, Loreto, Peru SS.jpg)
Sex: m Institution: Ramirez Collection Photographer: Antonio Santos-Silva Collection Location: Pebas, Rio Amazonas, Loreto, Peru 100673
|
|