New Search Family, Subfamily and Tribe List

SubFamily Cerambycinae

Tribe Cerambycini Cerambycina
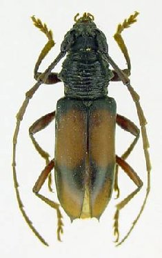
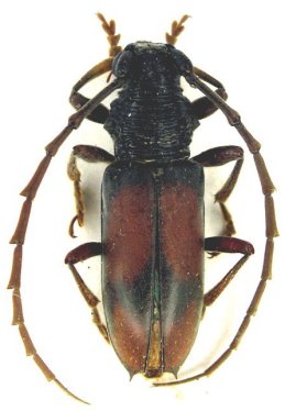
Hamaederus rugosus (Olivier, 1795)

Photographer: Jean-Louis Giuglaris
Collection Location: French Guiana
29261


Photographer: Denis Faure
Collection Location: French Guiana
23666


Institution: FTH Frank T. Hovore collection (now at California Academy of Sciences)
Photographer: Larry G. Bezark
Collection Location: French Guiana
12340


Photographer: Odette Morvan
Collection Location: Kaw, French Guiana
25215

130425