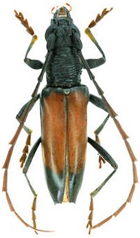
_Martins_and_Monne_MNRJ_SWL.jpg)
Plocaederus fragosoi Martins & Monne Specimen Type: holotype Sex: f Institution: MNRJ Museu Nacional Universidade do Rio Janeiro, Brazil Photographer: Steve Lingafelter Collection Location: Oiapoque (Reserva Indígena Manga), Amapa, Brazil 12331
|

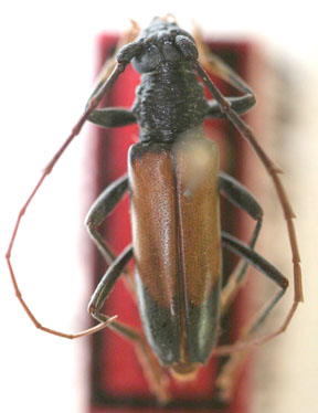
Photographer: Odette Morvan Collection Location: French Guiana 31510
|