 Aud-Serv BMNH Brazil Moure.jpg)
Specimen Type: syntype Institution: BMNH British Museum Natural History, London, UK Photographer: JS Moure Collection Location: Brazil 100417
|
 Thomson MNHN Brazil now Spathoptera albilat Moure.jpg)
Photuronta gutticollis Thomson Specimen Type: syntype Institution: MNHN Museum of Natural History Paris, France Photographer: JS Moure Collection Location: Brazil 100418
|

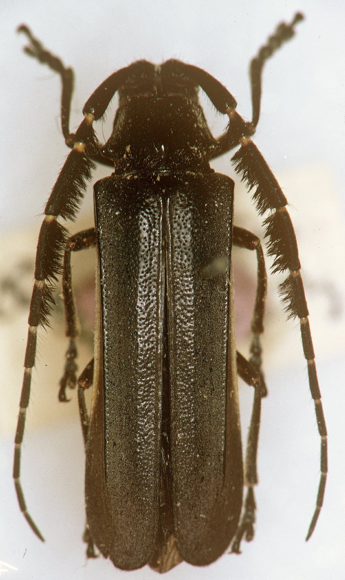
Institution: UCB Essig Museum of Entomology, Berkeley, California, USA Photographer: Larry G. Bezark Determiner: Chemsak Collection Location: Brazil 13281
|
|