_Gahan_BMNH_Brazil_nowJuiaparus_LGB.jpg)
Hammaticherus lasiocerus Gahan Specimen Type: holotype Sex: m Institution: BMNH British Museum Natural History, London, UK Photographer: Larry G. Bezark Collection Location: Brazil 46828
|
_Gahan_BMNH_Brazil_nowJuiaparus_LGB.jpg)
Hammaticherus lasiocerus Gahan Specimen Type: holotype Sex: m Institution: BMNH British Museum Natural History, London, UK Photographer: Larry G. Bezark Collection Location: Brazil 46829
|
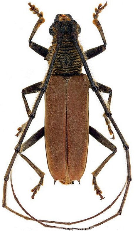
 (Gahan) Montagne de Kaw, French Guiana Robin.jpg)
Sex: m Photographer: Frédéric Robin Collection Location: Montagne de Kaw, French Guiana 90795
|
_Bolivia_Wappes_Photo.jpg)
Photographer: Jim Wappes Collection Location: Bolivia 8892
|
_Kaw_FG_JLG.jpg)
Photographer: Jean-Louis Giuglaris Collection Location: Kaw, French Guiana 8893
|
_UCB.jpg)
Institution: UCB Essig Museum of Entomology, Berkeley, California, USA Photographer: Larry G. Bezark 8894
|
_Faure_French_Guiana.jpg)
Photographer: Denis Faure Collection Location: French Guiana 22019
|