New Search Family, Subfamily and Tribe List

SubFamily Lamiinae

Tribe Hemilophini
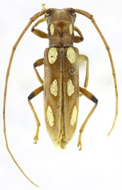
Murupeaca pinimatinga Martins & Galileo 1992

Specimen Type: holotype
Institution: MZSP Museu de Zoologia da Universidade de São Paulo, Brazil
Photographer: Steve Lingafelter
10183


Photographer: Jim Wappes
Collection Location: Bolivia
10184


Photographer: Alicia M. Hodson
42325

130425