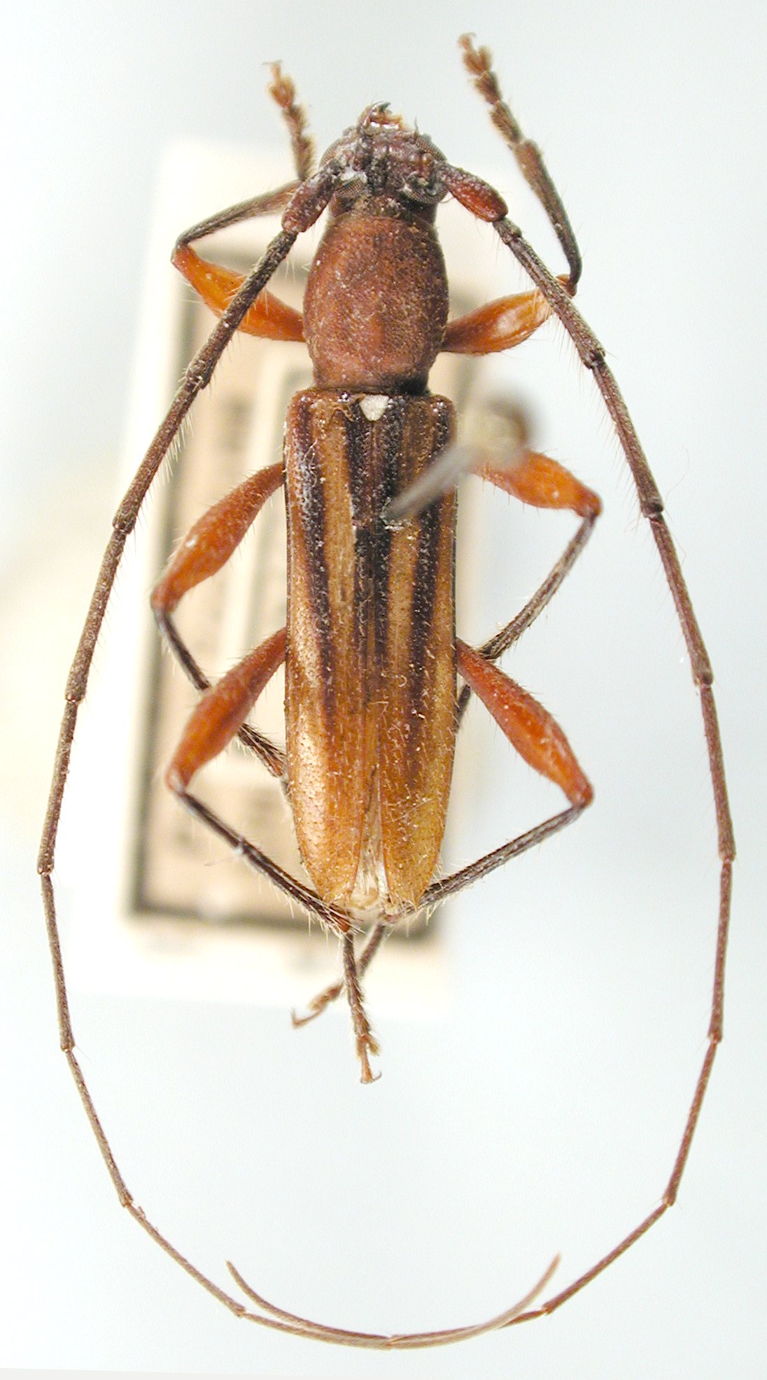
_Napp_Martins_DZUP_Linhares_ES_Braz_Monne.jpg)
Specimen Type: holotype Sex: m Institution: DZUP Univ Federal do Paraná, Museu de Ent Pe. Jesus Santiago, Moure, Curitiba, Paraná, Brazil Photographer: Monne Collection Location: Linhares, Espirito Santo, Brazil 57429
|

Institution: JCPC Jim Cope Collection, San Jose, California, USA now at CSCA, Sacramento Photographer: Larry G. Bezark Determiner: Jim Cope Collection Location: Parque Sooretama, Linhares, Espirito Santo, Brazil 21306
|