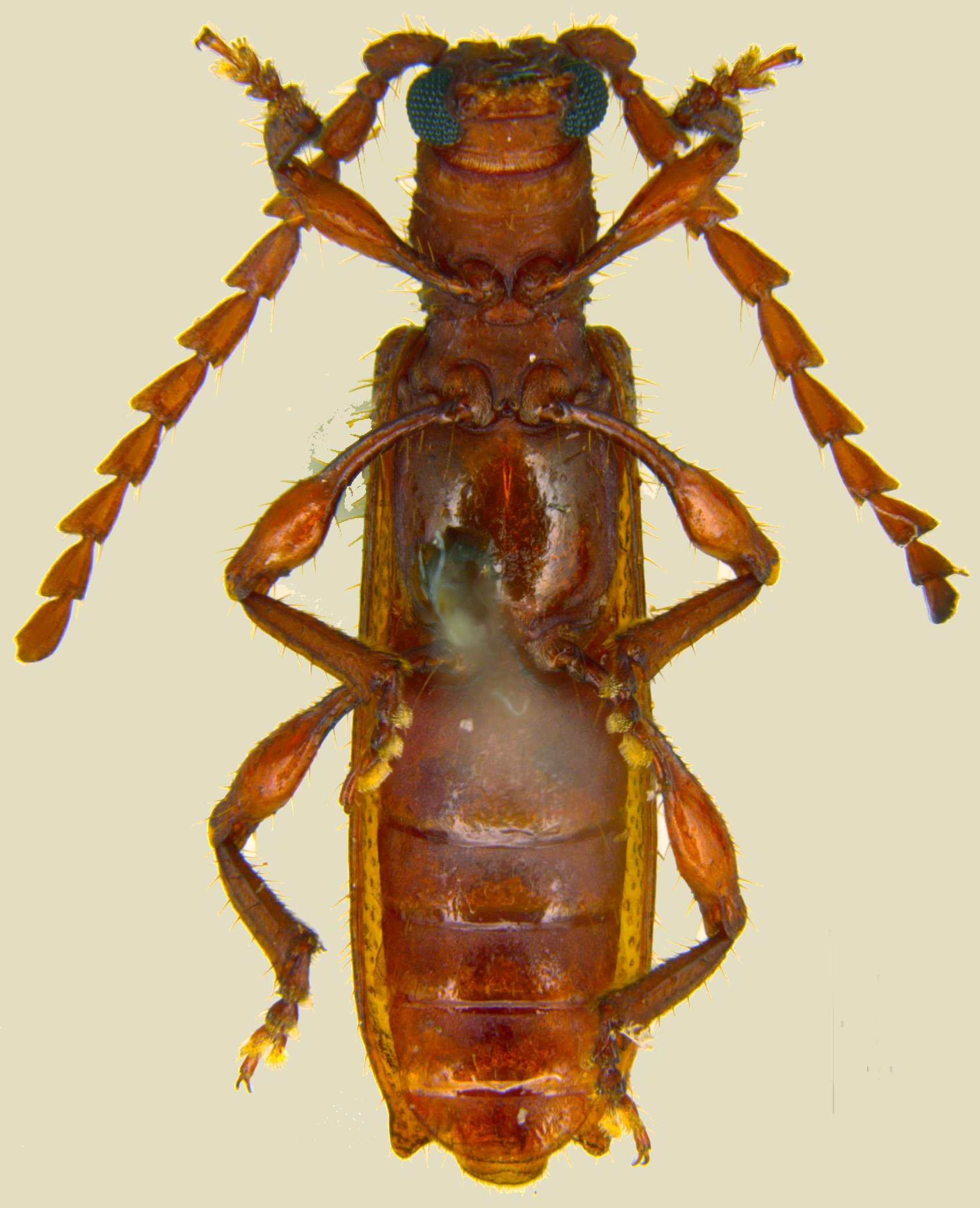
 Ferreira Mermudes MCNZ Porto Alegre, Ilha das Flores, RS, Brazil GF.jpg)
Specimen Type: holotype Sex: m Institution: MCNZ Museu de Ciencas Naturais, Fundacao Zoobotanica do Rio Grande do Sul, Brazil Photographer: Gabriel Ferreira Collection Location: Porto Alegre, Ilha das Flores, Rio Grande do Sul, Brazil 98654
|
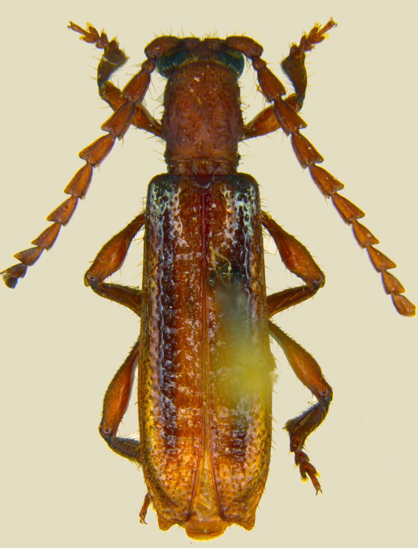
 Ferreira Mermudes MCNZ Porto Alegre, Ilha das Flores, RS, Brazil GF.jpg)
Specimen Type: holotype Sex: m Institution: MCNZ Museu de Ciencas Naturais, Fundacao Zoobotanica do Rio Grande do Sul, Brazil Photographer: Gabriel Ferreira Collection Location: Porto Alegre, Ilha das Flores, Rio Grande do Sul, Brazil 98655
|
 Ferreira Mermudes MCNZ Porto Alegre, Ilha das Flores, RS, Brazil GF.jpg)
Specimen Type: holotype Sex: m Institution: MCNZ Museu de Ciencas Naturais, Fundacao Zoobotanica do Rio Grande do Sul, Brazil Photographer: Gabriel Ferreira Collection Location: Porto Alegre, Ilha das Flores, Rio Grande do Sul, Brazil 98656
|
 Ferreira Mermudes MCNZ Porto Alegre, Ilha das Flores, RS, Brazil GF.jpg)
Specimen Type: holotype Sex: m Institution: MCNZ Museu de Ciencas Naturais, Fundacao Zoobotanica do Rio Grande do Sul, Brazil Photographer: Gabriel Ferreira Collection Location: Porto Alegre, Ilha das Flores, Rio Grande do Sul, Brazil 98657
|
 Ferreira Mermudes MCNZ Porto Alegre, Ilha das Flores, RS, Brazil GF.jpg)
Specimen Type: holotype Sex: m Institution: MCNZ Museu de Ciencas Naturais, Fundacao Zoobotanica do Rio Grande do Sul, Brazil Photographer: Gabriel Ferreira Collection Location: Porto Alegre, Ilha das Flores, Rio Grande do Sul, Brazil 98658
|
|