 Bez SS CASC Fuente Georginas, Quetzaltenango, Guatemala SS.jpg)
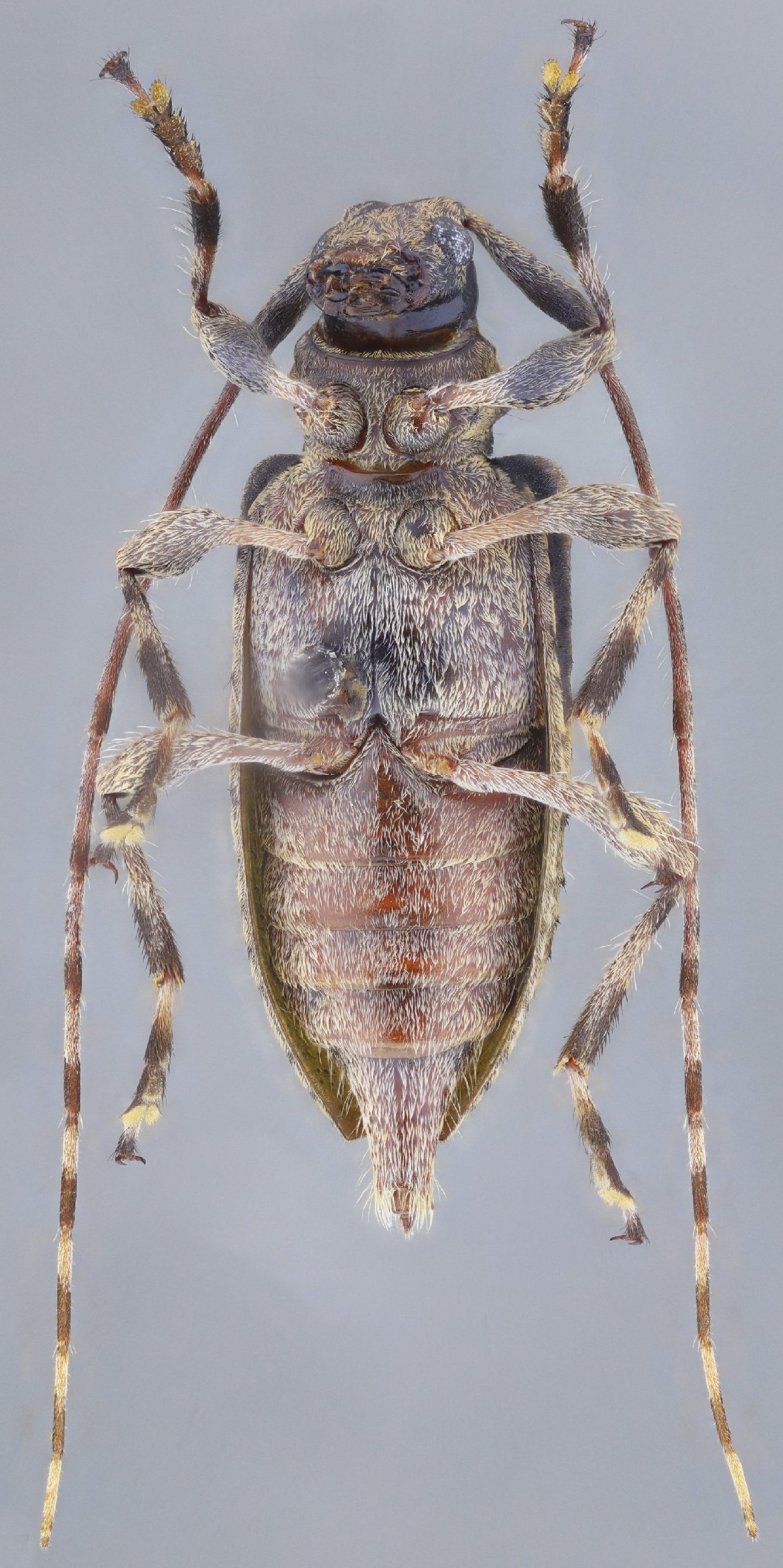
Specimen Type: holotype Sex: f Institution: CAS California Academy of Sciences, San Francisco, CA, USA Photographer: Antonio Santos-Silva Collection Location: Fuente Georginas, Quetzaltenango, Guatemala 98641
|
 Bez SS CASC Fuente Georginas, Quetzaltenango, Guatemala SS.jpg)
Specimen Type: holotype Sex: f Institution: CAS California Academy of Sciences, San Francisco, CA, USA Photographer: Antonio Santos-Silva Collection Location: Fuente Georginas, Quetzaltenango, Guatemala 98642
|
 Bez SS CASC Fuente Georginas, Quetzaltenango, Guatemala SS.jpg)
Specimen Type: holotype Sex: f Institution: CAS California Academy of Sciences, San Francisco, CA, USA Photographer: Antonio Santos-Silva Collection Location: Fuente Georginas, Quetzaltenango, Guatemala 98643
|
 Bez SS CASC Fuente Georginas, Quetzaltenango, Guatemala SS.jpg)
Specimen Type: holotype Sex: f Institution: CAS California Academy of Sciences, San Francisco, CA, USA Photographer: Antonio Santos-Silva Collection Location: Fuente Georginas, Quetzaltenango, Guatemala 98644
|
|