 Zetterstedt MZLU Abusa, vic Lund, Skane, S Sweden now populnea.jpg)
Saperda salicis Zetterstedt Specimen Type: lectotype Sex: m Institution: MZLU Biological Museum Lund University, Lund, Sweden Collection Location: Abusa, vic Lund, Skane, S Sweden 96755
|
 Zetterstedt MZLU Abusa, vic Lund, Skane, S Sweden now populnea.jpg)
Saperda salicis Zetterstedt Specimen Type: lectotype Sex: m Institution: MZLU Biological Museum Lund University, Lund, Sweden Collection Location: Abusa, vic Lund, Skane, S Sweden 96756
|
 Zetterstedt MZLU Abusa, vic Lund, Skane, S Sweden now populnea.jpg)
Saperda salicis Zetterstedt Specimen Type: lectotype Sex: m Institution: MZLU Biological Museum Lund University, Lund, Sweden Collection Location: Abusa, vic Lund, Skane, S Sweden 96757
|

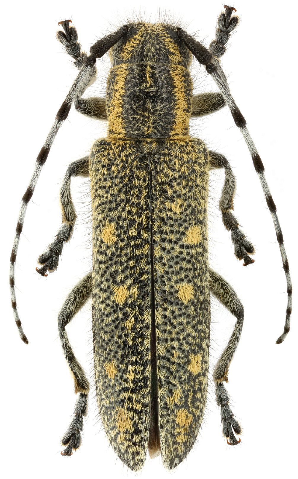
Sex: f Photographer: Maxim E. Smirnov Collection Location: 10 km S Goryachy Klyuch, Apsheronsky District, Krasnodar krai Russia 89188
|

Institution: LGBC Larry G. Bezark Collection, Sacramento, California, USA Photographer: Larry G. Bezark 60528
|
_populnea_(Linn)_Irkutsk_E_Siberia_Berlov.jpg)
Photographer: O. E. Berlov Collection Location: Irkustsk, Eastern Siberia 60529
|
_populnea_(lateral)_(Linn)_Irkutsk_E_Siberia_Berlov.jpg)
Photographer: O. E. Berlov Collection Location: Irkustsk, Eastern Siberia 60530
|
_populnea_(ventral)_(Linn)_Irkutsk_E_Siberia_Berlov.jpg)
Photographer: O. E. Berlov Collection Location: Irkustsk, Eastern Siberia 60531
|
_balsamifera_Mots_Transbaikalia_Shilka_Mitrofanova_det_Suvarov_Berlov.jpg)
Saperda balsamifera Motschulsky Photographer: O. E. Berlov Determiner: Suvorov Collection Location: Transbaikalia, Shilka, Mitrofanova 60524
|
_balsamifera2_(lateral)_Mots_Transbaikalia_Shilka_Mitrofanova_det_Suvarov_Berlov.jpg)
Saperda balsamifera Motschulsky Photographer: O. E. Berlov Determiner: Suvorov Collection Location: Transbaikalia, Shilka, Mitrofanova 60525
|

Saperda balsamifera Motschulsky Photographer: Andre Gorodinski Collection Location: Northern Sichuan Province, China 60526
|
_balsamifera_(lateral)_Mots_Transbaikalia_Shilka_Mitrofanova_det_Suvarov_Berlov.jpg)
Saperda balsamifera Motschulsky Photographer: O. E. Berlov Determiner: Suvorov Collection Location: Transbaikalia, Shilka, Mitrofanova 60527
|
|